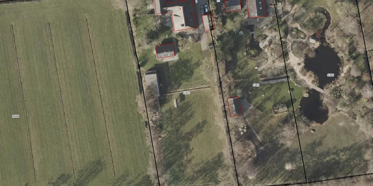
Perceel: MRM01-C-6382
KadastraleKaart.com kan meer dan je denktOntdek meer ›
Filter op bestemming 50+ datasets Eigendomsdata in één klik Percelen CRM
4.670 m2 - 313 m
Eigenaar opvragen
MRM01-C-6382 (Marum)
- 9367 PM
CGwqnyZ9WvLNFducUpgrade naar KadastraleKaart Pro
Verkoopprijs opvragen
Bekijk op Street View
Download DWG/DXF/Excel
tLI QB1112Qt oeUpgrade naar KadastraleKaart Pro
90WgpLbXK1uhJJTn0wUpgrade naar KadastraleKaart Pro
WjqERSwbEvX ZNEag8KElUpgrade naar KadastraleKaart Pro
m HDQYzN9Kg4cxbEozIUpgrade naar KadastraleKaart Pro
hS3Y m 7RHJ6FJ y 4zsUpgrade naar KadastraleKaart Pro
y0vjBWjE7ELUpgrade naar KadastraleKaart Pro
k a tE82Noz hYjw3zLcfUpgrade naar KadastraleKaart Pro
7SUah9F QxePUyd2aNk2Upgrade naar KadastraleKaart Pro
Y6NfEByaUpgrade naar KadastraleKaart Pro
emg4G jHjUpgrade naar KadastraleKaart Pro
02/08/2005

Percelen
Gebruik de zoekbalk of klik op een perceel om informatie over het perceel te bekijken.