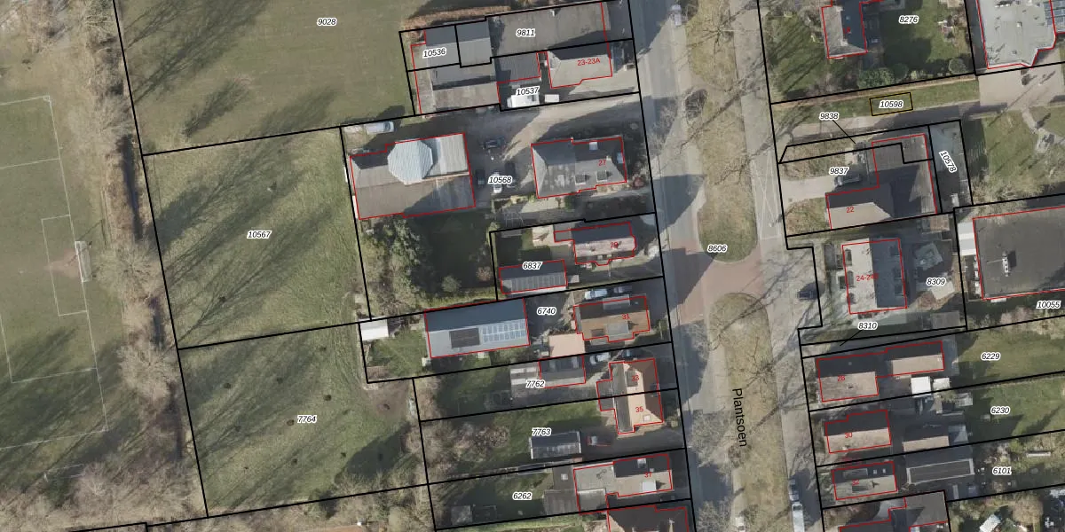
Perceel: MRM01-C-6837
KadastraleKaart.com kan meer dan je denktOntdek meer ›
Filter op bestemming 50+ datasets Eigendomsdata in één klik Percelen CRM
390 m2 - 89 m
Eigenaar opvragen
MRM01-C-6837 (Marum)
- 9367 PH
kiteuR6AdmsDt3Z OuecB8Tu RMUpgrade naar KadastraleKaart Pro
Verkoopprijs opvragen
Bekijk op Street View
Download DWG/DXF/Excel
TTg9Rwcjz1Upgrade naar KadastraleKaart Pro
Ve6iepKyxTkvt dyLBUpgrade naar KadastraleKaart Pro
BNmdGaAHK85l9BU1McZXUpgrade naar KadastraleKaart Pro
9bqfVq8FF9mkUpgrade naar KadastraleKaart Pro
RtL4qxDEzqLiFWUpgrade naar KadastraleKaart Pro
BjQTSoVsFg3urkLe8GYwUpgrade naar KadastraleKaart Pro
d1mN7V HV84N0n0PvUpgrade naar KadastraleKaart Pro
5c kL2o5wIzw KUpgrade naar KadastraleKaart Pro
ZP 1x LKgLNp2gdGWUpgrade naar KadastraleKaart Pro
y s9ANR8zUvuUpgrade naar KadastraleKaart Pro
14/11/1997

Percelen
Gebruik de zoekbalk of klik op een perceel om informatie over het perceel te bekijken.