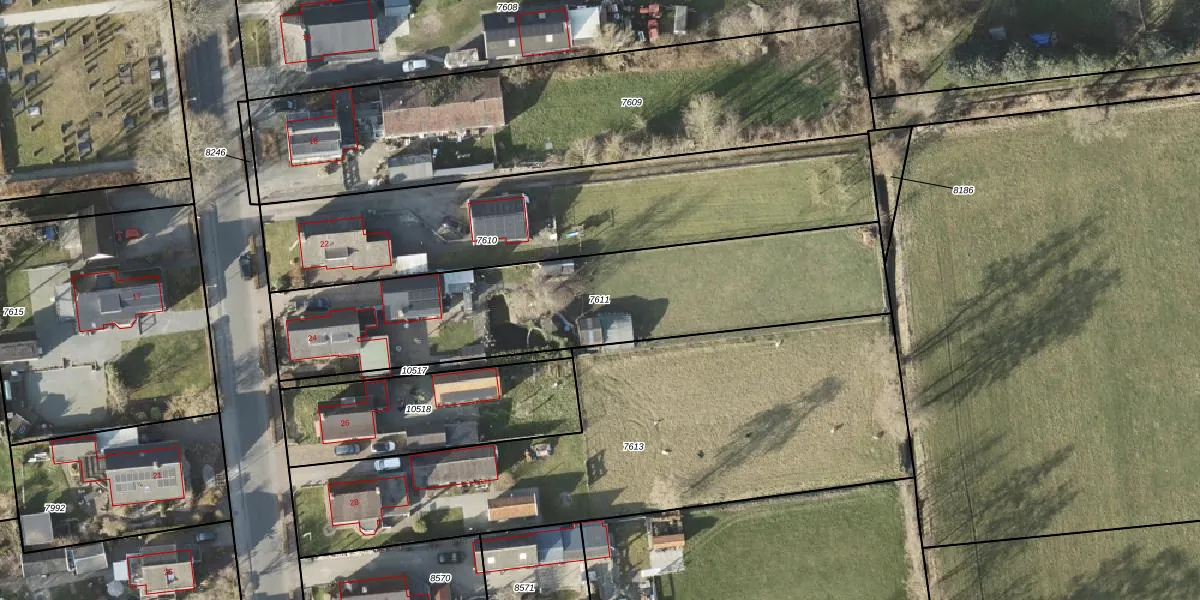
Perceel: MRM01-C-7611
KadastraleKaart.com kan meer dan je denktOntdek meer ›
Filter op bestemming 50+ datasets Eigendomsdata in één klik Percelen CRM
1.520 m2 - 235 m
Eigenaar opvragen
MRM01-C-7611 (Marum)
- 9367 PD
enCwnRFKpdEB4Fw OejtIUpgrade naar KadastraleKaart Pro
Verkoopprijs opvragen
Bekijk op Street View
Download DWG/DXF/Excel
2fT9WEKuAviAoZPUpgrade naar KadastraleKaart Pro
jiKOL pr 2lxhuscFvIzUpgrade naar KadastraleKaart Pro
mFnGK37qkUOUpgrade naar KadastraleKaart Pro
dyww2KoEUpgrade naar KadastraleKaart Pro
D mtLVMMLlUQUpgrade naar KadastraleKaart Pro
6KJCEQG2RBRh0pUpgrade naar KadastraleKaart Pro
6ECpWy DUpgrade naar KadastraleKaart Pro
F57Q mnj4nrPVFy H Z6ZPUpgrade naar KadastraleKaart Pro
KHJu6S6Nl41TX Upgrade naar KadastraleKaart Pro
s E4IAIgwUpgrade naar KadastraleKaart Pro
11/03/1998

Percelen
Gebruik de zoekbalk of klik op een perceel om informatie over het perceel te bekijken.