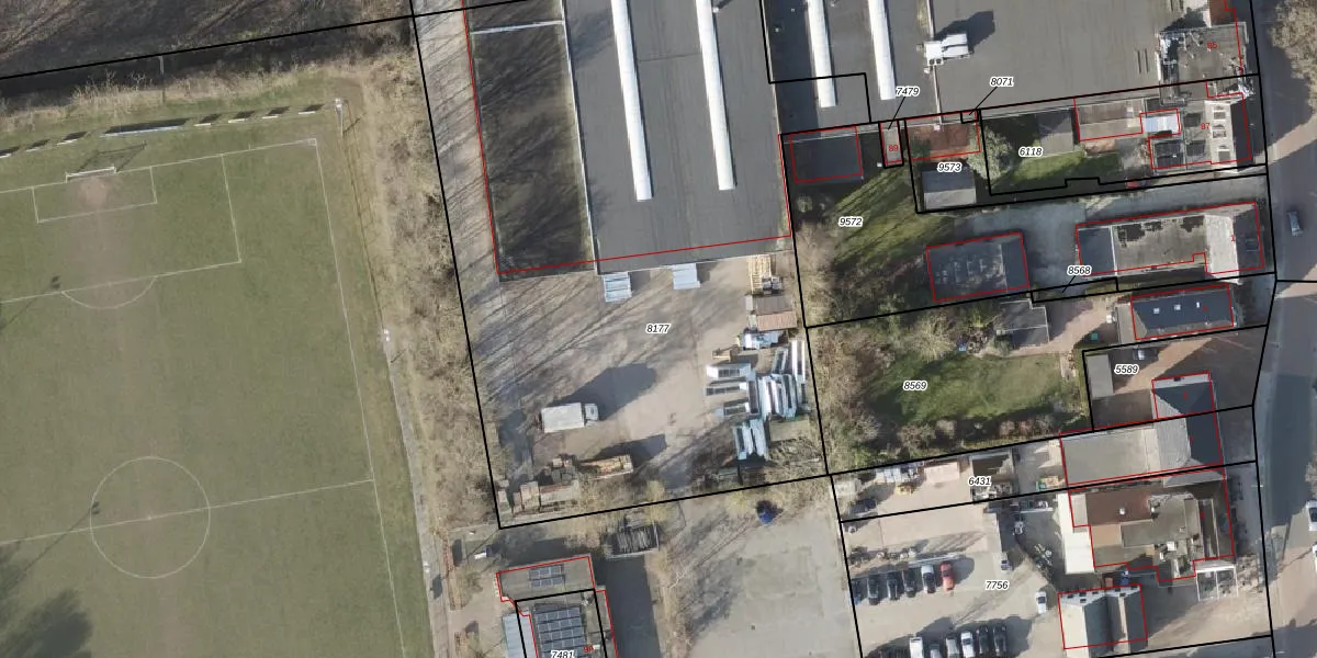
Perceel: MRM01-C-8177
Geen adressen bij dit perceel
4.150 m2 - 288 m
Eigenaar opvragen
MRM01-C-8177 (Marum)
- Geen postcode aanwezig
eUQiLuJTNSD 6TBzQiCRUpgrade naar KadastraleKaart Pro
Bekijk op Street View
Download DWG/DXF/Excel
zV9g5l 3iotUpgrade naar KadastraleKaart Pro
MIhmHhQ6QpUpgrade naar KadastraleKaart Pro
zY3LziLLr9hpYnUpgrade naar KadastraleKaart Pro
RAti BO CxgK9BLUpgrade naar KadastraleKaart Pro
GZp0j j1nhS0mUpgrade naar KadastraleKaart Pro
ihqDQ8WYLEJGUpgrade naar KadastraleKaart Pro
7Y iILNL4Upgrade naar KadastraleKaart Pro
3pfE6z3Xhnzf6xowFXhbUpgrade naar KadastraleKaart Pro
MAEYiTYhkyFiKAs8BxaiULTUpgrade naar KadastraleKaart Pro
UJLykdk7Nxlw3IMaFRxrUpgrade naar KadastraleKaart Pro
26/05/2009

Percelen
Gebruik de zoekbalk of klik op een perceel om informatie over het perceel te bekijken.