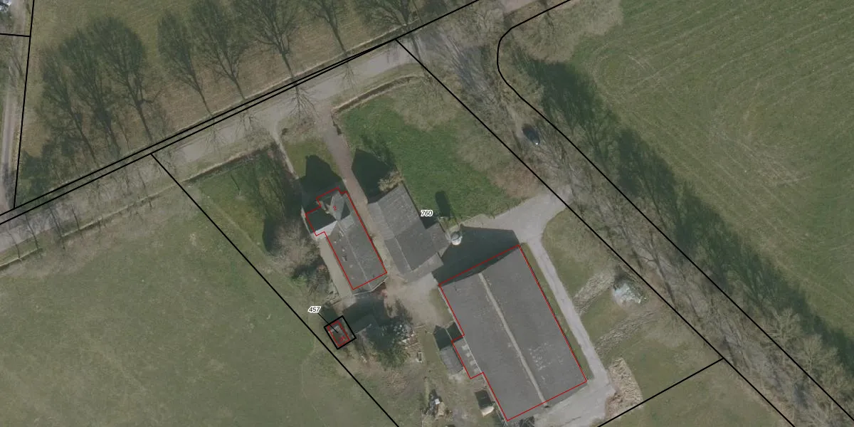
Perceel: MRM01-E-760
KadastraleKaart.com kan meer dan je denktOntdek meer ›
Filter op bestemming 50+ datasets Eigendomsdata in één klik Percelen CRM
6.835 m2 - 371 m
Eigenaar opvragen
MRM01-E-760 (Marum)
- 9363 VH
t6GLxdXClQDZym5kWbHRGPBidvSUpgrade naar KadastraleKaart Pro
Verkoopprijs opvragen
Bekijk op Street View
Download DWG/DXF/Excel
KYVhRKBAXwiYe6m2JLBCPwUpgrade naar KadastraleKaart Pro
v 2sJOh3X g OiG8iQnUpgrade naar KadastraleKaart Pro
qUOcU rH zXzLchibuFJEQgUpgrade naar KadastraleKaart Pro
Y VsAbS M3Upgrade naar KadastraleKaart Pro
XPeMWr0RYUpgrade naar KadastraleKaart Pro
41ja f ynUuk8C9yg xUpgrade naar KadastraleKaart Pro
SRtd6Lb1qzCmgCrJ cDKTUpgrade naar KadastraleKaart Pro
pOpZ4XjbelsqSUpgrade naar KadastraleKaart Pro
DbkP qAeSZUpgrade naar KadastraleKaart Pro
XPiH4Qm69rYQZ0a Upgrade naar KadastraleKaart Pro
07/11/2025

Percelen
Gebruik de zoekbalk of klik op een perceel om informatie over het perceel te bekijken.