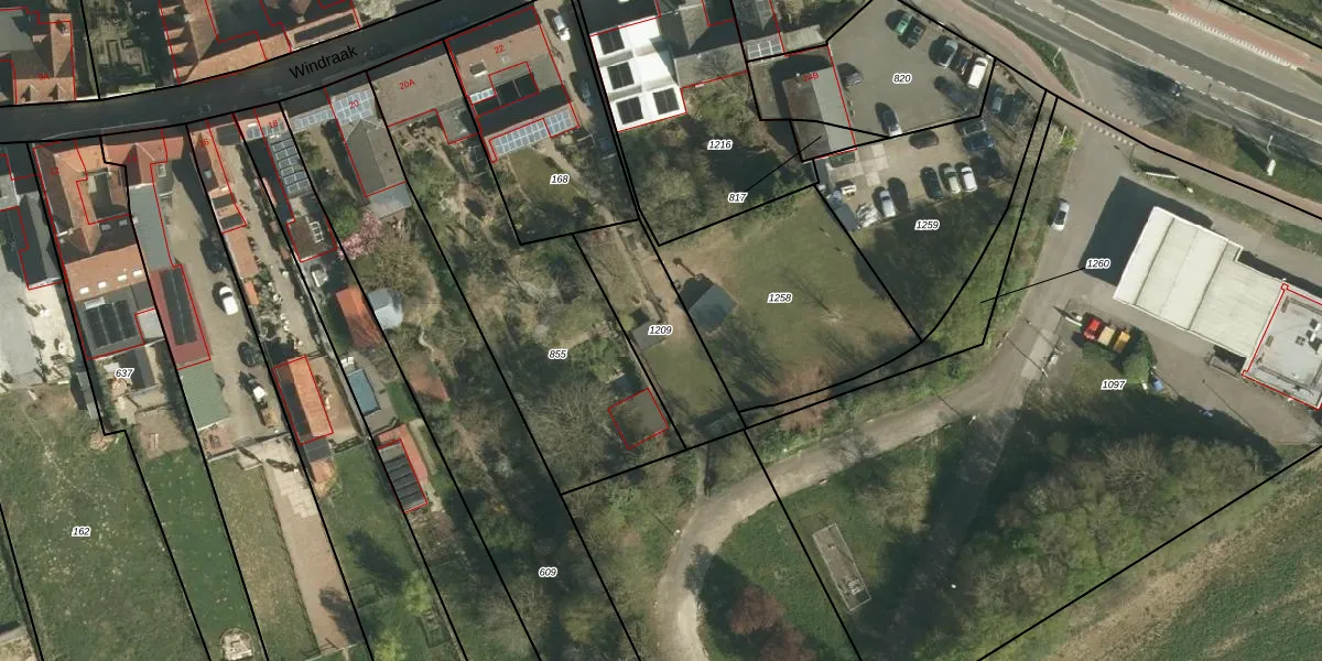
Perceel: MSG00-D-1209
Geen adressen bij dit perceel
355 m2 - 93 m
Eigenaar opvragen
MSG00-D-1209 (Munstergeleen)
- Geen postcode aanwezig
dpxhtQxIx 9RXG1gDEC MORJRloUpgrade naar KadastraleKaart Pro
Bekijk op Street View
Download DWG/DXF/Excel
7bkfdkksDXK lFe6 vZ6Upgrade naar KadastraleKaart Pro
6 8Wyb2qI 5 FU FC 7zUpgrade naar KadastraleKaart Pro
Z9bY7Ii Vtk1RUpgrade naar KadastraleKaart Pro
ruisNZkt Hv9Upgrade naar KadastraleKaart Pro
lzCK8GyJfhJCOQQwaUpgrade naar KadastraleKaart Pro
DeRJoAomVCZgAveAgxlJB7TUpgrade naar KadastraleKaart Pro
TMakNWWU6WsXLseUpgrade naar KadastraleKaart Pro
CbR2 AFgcYwTPxcPX HUpgrade naar KadastraleKaart Pro
Yk r3f6hGxZ kdEFOoC5Upgrade naar KadastraleKaart Pro
3slebk 65c75hUpgrade naar KadastraleKaart Pro
13/07/2007

Percelen
Gebruik de zoekbalk of klik op een perceel om informatie over het perceel te bekijken.