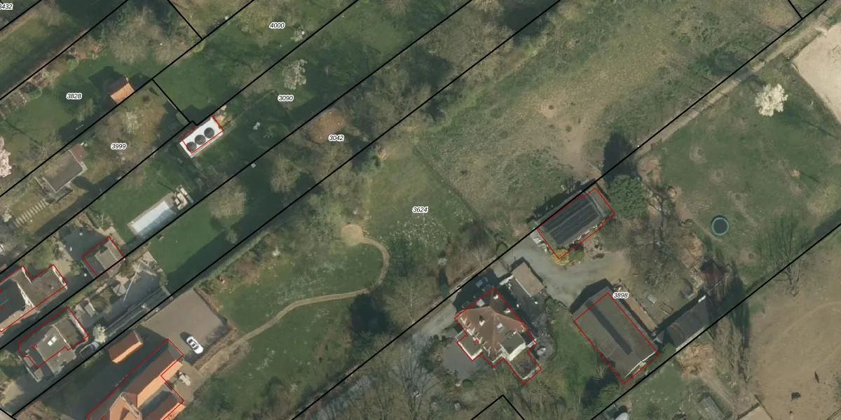
Perceel: MSN01-A-3624
KadastraleKaart.com kan meer dan je denktOntdek meer ›
Filter op bestemming 50+ datasets Eigendomsdata in één klik Percelen CRM
8.000 m2 - 483 m
Eigenaar opvragen
MSN01-A-3624 (Meerssen)
- 6231 KS
bLjZR uwZi1qfRdWZ5d6SKed ElUpgrade naar KadastraleKaart Pro
Verkoopprijs opvragen
Bekijk op Street View
Download DWG/DXF/Excel
wNqT7TqNdUpgrade naar KadastraleKaart Pro
jNg1mc2e8gbyBUUpgrade naar KadastraleKaart Pro
M9bDSOi lcaiVOM7 Nn9vvUpgrade naar KadastraleKaart Pro
8ZQBTLON mF8Upgrade naar KadastraleKaart Pro
ExF jmvsKy7 FjLygjtMoZUpgrade naar KadastraleKaart Pro
LJ JtUw Upgrade naar KadastraleKaart Pro
VX RHvwEbGbUpgrade naar KadastraleKaart Pro
b7tl12ivUpgrade naar KadastraleKaart Pro
p9YNCF5ZsUpgrade naar KadastraleKaart Pro
NSrQONUJOuRrdPZmn6Upgrade naar KadastraleKaart Pro
29/10/2020

Percelen
Gebruik de zoekbalk of klik op een perceel om informatie over het perceel te bekijken.