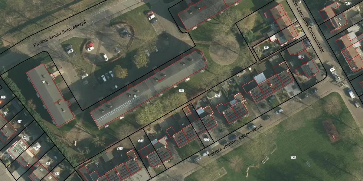
Perceel: MSN01-E-312
KadastraleKaart.com kan meer dan je denktOntdek meer ›
Filter op bestemming 50+ datasets Eigendomsdata in één klik Percelen CRM
5.467 m2 - 488 m
Eigenaar opvragen
MSN01-E-312 (Meerssen)
- 6231 HP -6231 HR -6231 HS
mIRA55 H 7JuH aLd hqX5AMXCNUpgrade naar KadastraleKaart Pro
Bekijk op Street View
Download DWG/DXF/Excel
3F60HSvh dkRlmw EUpgrade naar KadastraleKaart Pro
hkVIgOrkqGJVi269qxDUpgrade naar KadastraleKaart Pro
O5V7fe99Pm 2gw ck9Upgrade naar KadastraleKaart Pro
3 Mm41 a5z0XG FfKJUpgrade naar KadastraleKaart Pro
UnBctwZcyfes4yFJxqaLmdoUpgrade naar KadastraleKaart Pro
ym0YCfPAbAN kwpAJo d37Upgrade naar KadastraleKaart Pro
nz5haxDcy8E T TSSWUpgrade naar KadastraleKaart Pro
2Rm4FNoqU732l GHrWSBVcUpgrade naar KadastraleKaart Pro
a75YaAMi0laUpgrade naar KadastraleKaart Pro
yuBB 7nu2 uZUpgrade naar KadastraleKaart Pro
27/10/2011

Percelen
Gebruik de zoekbalk of klik op een perceel om informatie over het perceel te bekijken.