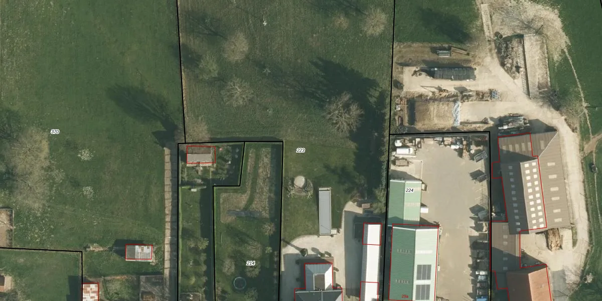
Perceel: MSN01-L-223
KadastraleKaart.com kan meer dan je denktOntdek meer ›
Filter op bestemming 50+ datasets Eigendomsdata in één klik Percelen CRM
9.715 m2 - 522 m
Eigenaar opvragen
MSN01-L-223 (Meerssen)
- 6231 RP
Mebuxj2Ux3LAD 0pBuJDZe9LPhr ohzUpgrade naar KadastraleKaart Pro
Bekijk op Street View
Download DWG/DXF/Excel
1co89O1TUpgrade naar KadastraleKaart Pro
2 SoBdJGjeRcIUpgrade naar KadastraleKaart Pro
gLZRJVg 7xEdI39DMQUpgrade naar KadastraleKaart Pro
I2Ks S0psJA Cz ole EzUpgrade naar KadastraleKaart Pro
0 Cx6rTA g 7n2WMgPKai5UUpgrade naar KadastraleKaart Pro
7jj CiMfw7Upgrade naar KadastraleKaart Pro
1t ETSq8 6p7qtXK2Upgrade naar KadastraleKaart Pro
at83g72mBUbd4gUpgrade naar KadastraleKaart Pro
xXRgLmSd6NDKUpgrade naar KadastraleKaart Pro
n8q vlRq52ILUEM0XXA YUpgrade naar KadastraleKaart Pro
29/11/2010

Percelen
Gebruik de zoekbalk of klik op een perceel om informatie over het perceel te bekijken.