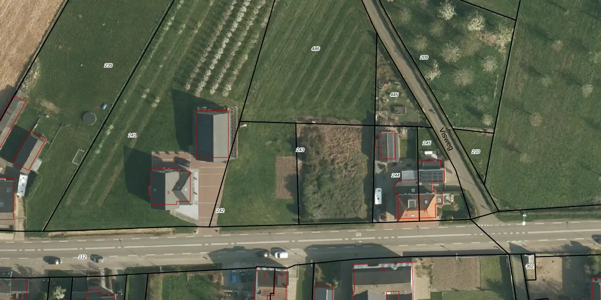
Perceel: MSN01-L-243
KadastraleKaart.com kan meer dan je denktOntdek meer ›
Filter op bestemming 50+ datasets Eigendomsdata in één klik Percelen CRM
Geen adressen bij dit perceel
851 m2 - 117 m
Eigenaar opvragen
MSN01-L-243 (Meerssen)
- Geen postcode aanwezig
NbHTNF167xTDKRUfcLp0bc BW5o2EUpgrade naar KadastraleKaart Pro
Bekijk op Street View
Download DWG/DXF/Excel
DJ eHIkpiaKR yhl4 Upgrade naar KadastraleKaart Pro
P76JTvmrP4CP13bUpgrade naar KadastraleKaart Pro
zBlh DYY iUpgrade naar KadastraleKaart Pro
kaZ8Ixh0ofUpgrade naar KadastraleKaart Pro
i QC r QWHYMmolaamj5Upgrade naar KadastraleKaart Pro
G KAziF3hHD 8 s5 jDCUpgrade naar KadastraleKaart Pro
T1gFev0G8fUpgrade naar KadastraleKaart Pro
f9aA K 8TcwxKTs55apvETFUpgrade naar KadastraleKaart Pro
L9Bqwr6JZ3Upgrade naar KadastraleKaart Pro
HcHvjmb K jLwWdvYCyUpgrade naar KadastraleKaart Pro
22/10/2009

Percelen
Gebruik de zoekbalk of klik op een perceel om informatie over het perceel te bekijken.