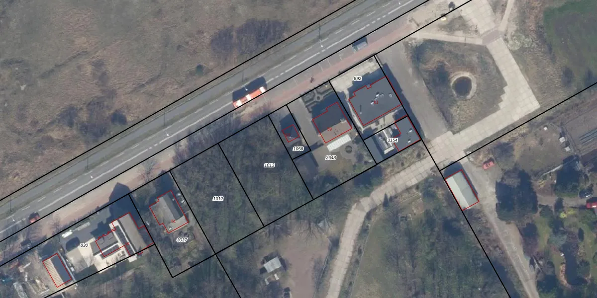
Perceel: MSR00-I-1058
KadastraleKaart.com kan meer dan je denktOntdek meer ›
Filter op bestemming 50+ datasets Eigendomsdata in één klik Percelen CRM
119 m2 - 48 m
Eigenaar opvragen
MSR00-I-1058 (Monster)
- 2681 PB
U4gqA4dlFy8Gn9 ipv0eYcUpgrade naar KadastraleKaart Pro
Bekijk op Street View
Download DWG/DXF/Excel
WO6aBdltk JidNUpgrade naar KadastraleKaart Pro
1X4o3A8uIlM2Upgrade naar KadastraleKaart Pro
MYAo9wLyVd xKGemS5Upgrade naar KadastraleKaart Pro
foJs9cynUpgrade naar KadastraleKaart Pro
oPgjl1I0 nGGjUpgrade naar KadastraleKaart Pro
q1x027cmEI g4 ADUpgrade naar KadastraleKaart Pro
TKZuq0xO tyfqUpgrade naar KadastraleKaart Pro
gtq6sY uHFFsMFWedc9qDv1Upgrade naar KadastraleKaart Pro
O7bc2B7R4yRrH5 bXPoUpgrade naar KadastraleKaart Pro
5i2w3OxwKo839HnkaRH7Upgrade naar KadastraleKaart Pro
06/07/2010

Percelen
Gebruik de zoekbalk of klik op een perceel om informatie over het perceel te bekijken.