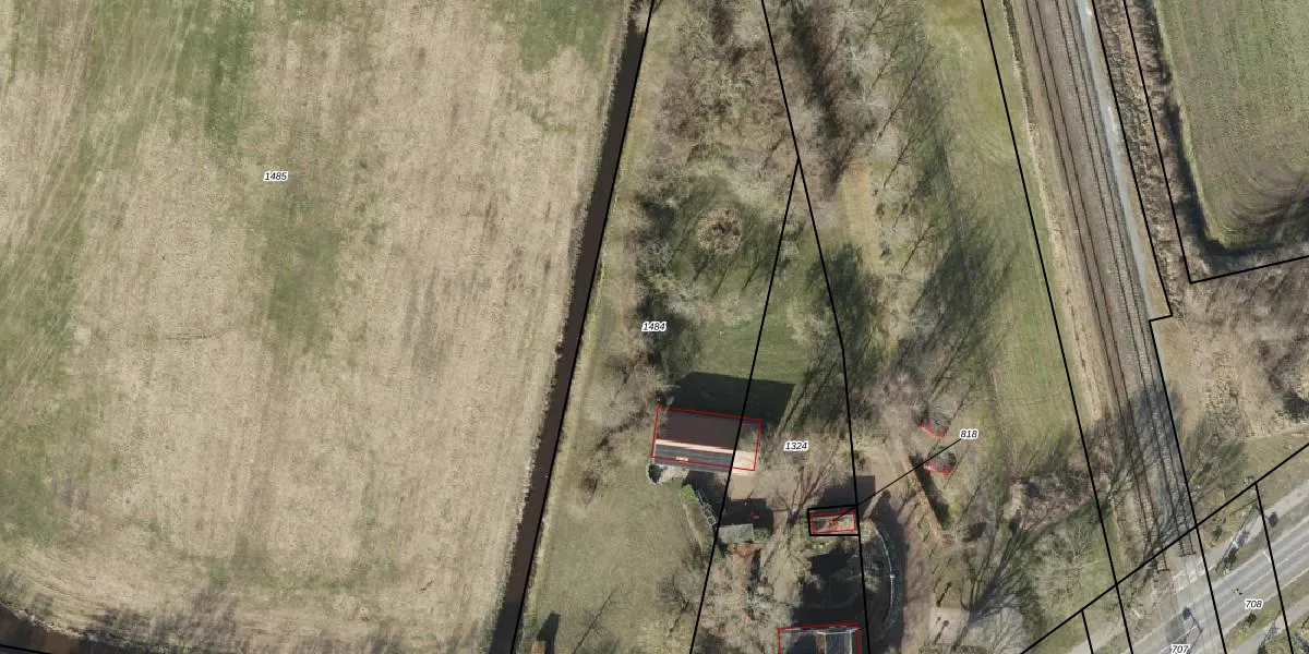
Perceel: MTD01-A-1484
Geen adressen bij dit perceel
3.207 m2 - 329 m
Eigenaar opvragen
MTD01-A-1484 (Muntendam)
- Geen postcode aanwezig
7PLrTYib2tuvMvO8lCy x beaiiidSaUpgrade naar KadastraleKaart Pro
Bekijk op Street View
Download DWG/DXF/Excel
XU3v9v w1Upgrade naar KadastraleKaart Pro
XuWYxFr Igl8qdGVUpgrade naar KadastraleKaart Pro
v2 17LfijUpgrade naar KadastraleKaart Pro
lbqYqqpE7kvXIOHgUpgrade naar KadastraleKaart Pro
F OlByj9 DCWaIZ1Upgrade naar KadastraleKaart Pro
oRQZTWFzohjRv5tMjDcFWdUpgrade naar KadastraleKaart Pro
B8bcyy5ziT00L 6PQo3Upgrade naar KadastraleKaart Pro
Y3q3hDGju5oPW2jwx4mHVUpgrade naar KadastraleKaart Pro
2CtyrV5J1IyEgwGrHVUpgrade naar KadastraleKaart Pro
OaZufjZ2L5XbUpgrade naar KadastraleKaart Pro
15/08/2008

Percelen
Gebruik de zoekbalk of klik op een perceel om informatie over het perceel te bekijken.