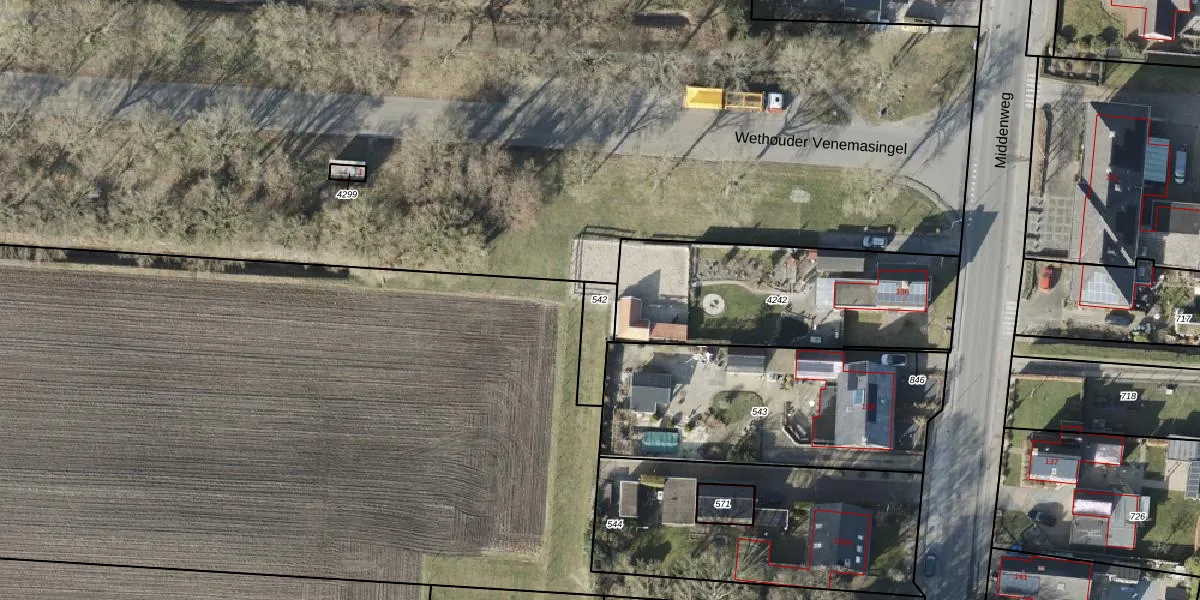
Perceel: MTD01-E-542
Geen adressen bij dit perceel
101 m2 - 52 m
Eigenaar opvragen
MTD01-E-542 (Muntendam)
- Geen postcode aanwezig
ARKs7SY0e4N9ku B TFsYgzHmn9jMUpgrade naar KadastraleKaart Pro
Bekijk op Street View
Download DWG/DXF/Excel
GtX1R13gdXCQnGZUpgrade naar KadastraleKaart Pro
n05C PZ Upgrade naar KadastraleKaart Pro
MnMGkIaJUpgrade naar KadastraleKaart Pro
0e daPEvYRLdQmYM1Fk0E Upgrade naar KadastraleKaart Pro
Pt90Zj Upgrade naar KadastraleKaart Pro
NJvCRkEC1K V2RrU oUpgrade naar KadastraleKaart Pro
JM7NevrobhtunHyyUpgrade naar KadastraleKaart Pro
cTOXWKwM8vdGWATDvbUpgrade naar KadastraleKaart Pro
AdaYquF DMUpgrade naar KadastraleKaart Pro
fEdNXXpUOrdYa qUpgrade naar KadastraleKaart Pro
28/10/2008

Percelen
Gebruik de zoekbalk of klik op een perceel om informatie over het perceel te bekijken.