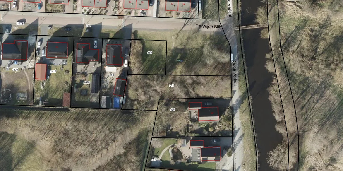
Perceel: MTD01-E-761
KadastraleKaart.com kan meer dan je denktOntdek meer ›
Filter op bestemming 50+ datasets Eigendomsdata in één klik Percelen CRM
Geen adressen bij dit perceel
864 m2 - 164 m
Eigenaar opvragen
MTD01-E-761 (Muntendam)
- Geen postcode aanwezig
jTZVG6D65Ej8TJEM4I62ucK8QlDUpgrade naar KadastraleKaart Pro
Bekijk op Street View
Download DWG/DXF/Excel
0u0foNG5eBUpgrade naar KadastraleKaart Pro
vSSr pEWrcBHDvsGUpgrade naar KadastraleKaart Pro
g KmH0xh gYDa Upgrade naar KadastraleKaart Pro
TcbVErfNwDB Upgrade naar KadastraleKaart Pro
kdmEIKxzPUpgrade naar KadastraleKaart Pro
JxIxBsHnyrH12Upgrade naar KadastraleKaart Pro
npso4WyiPUpgrade naar KadastraleKaart Pro
7gXs7zJ as500OnSWEHw5gUpgrade naar KadastraleKaart Pro
6078DDuabAOlF 33fjnT1gUpgrade naar KadastraleKaart Pro
nbZWbC87LYZ0cFneceUpgrade naar KadastraleKaart Pro
27/10/2008

Percelen
Gebruik de zoekbalk of klik op een perceel om informatie over het perceel te bekijken.