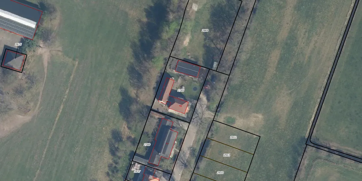
Perceel: MTD02-C-2765
709 m2 - 109 m
Eigenaar opvragen
MTD02-C-2765 (Maartensdijk)
- 3737 AN
EQz 9dEaqs0 sklvmkY ZjjUpgrade naar KadastraleKaart Pro
Verkoopprijs opvragen
Bekijk op Street View
Download DWG/DXF/Excel
YJ8farS tjyb0zwDBduqcPUpgrade naar KadastraleKaart Pro
GEa6oJuco50KeUpgrade naar KadastraleKaart Pro
J3EWmUUvkiJJ2x68Upgrade naar KadastraleKaart Pro
H Ue 5W9Upgrade naar KadastraleKaart Pro
U0Cm8IT3H 6G5ZTtEDKGfJUpgrade naar KadastraleKaart Pro
5rDuw6UXxGkAJ5Upgrade naar KadastraleKaart Pro
oBJj7lJpKKETwy1zj7k i8IUpgrade naar KadastraleKaart Pro
NLOSjSxeHRBPUV7b84fW55DUpgrade naar KadastraleKaart Pro
nj JiP LZZvEI9Zc2cf1Upgrade naar KadastraleKaart Pro
261x49gc 47R87XEluUpgrade naar KadastraleKaart Pro
29/11/2010

Percelen
Gebruik de zoekbalk of klik op een perceel om informatie over het perceel te bekijken.