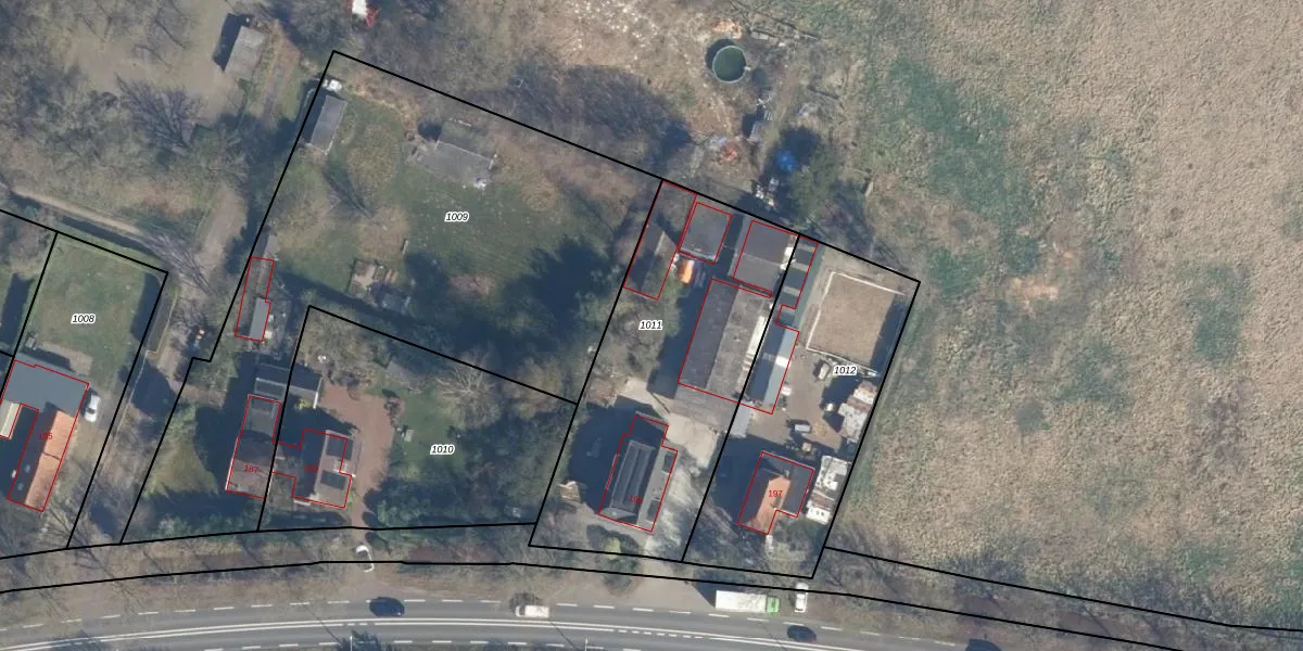
Perceel: MTD02-N-1011
1.300 m2 - 160 m
Eigenaar opvragen
MTD02-N-1011 (Maartensdijk)
- 3737 MH
qmYQCTi7Syyg4WXaFx9iBly8o3D9Upgrade naar KadastraleKaart Pro
Verkoopprijs opvragen
Bekijk op Street View
Download DWG/DXF/Excel
XmoNtiTWdbjM5GjLQUpgrade naar KadastraleKaart Pro
6bFCUsavUpgrade naar KadastraleKaart Pro
2c8PI4pBUpgrade naar KadastraleKaart Pro
NMNKQ0ijBObwSLUpgrade naar KadastraleKaart Pro
KjtofsXP6Upgrade naar KadastraleKaart Pro
hfiqNWZASm49Upgrade naar KadastraleKaart Pro
gIt4xTg5A642Lx4Upgrade naar KadastraleKaart Pro
ARpUGKN0BB aiUpgrade naar KadastraleKaart Pro
hkTA w6V bgsuO8NYuzD8 Upgrade naar KadastraleKaart Pro
YoRUrfXdgLp rq qDjVCSUpgrade naar KadastraleKaart Pro
17/11/2011

Percelen
Gebruik de zoekbalk of klik op een perceel om informatie over het perceel te bekijken.