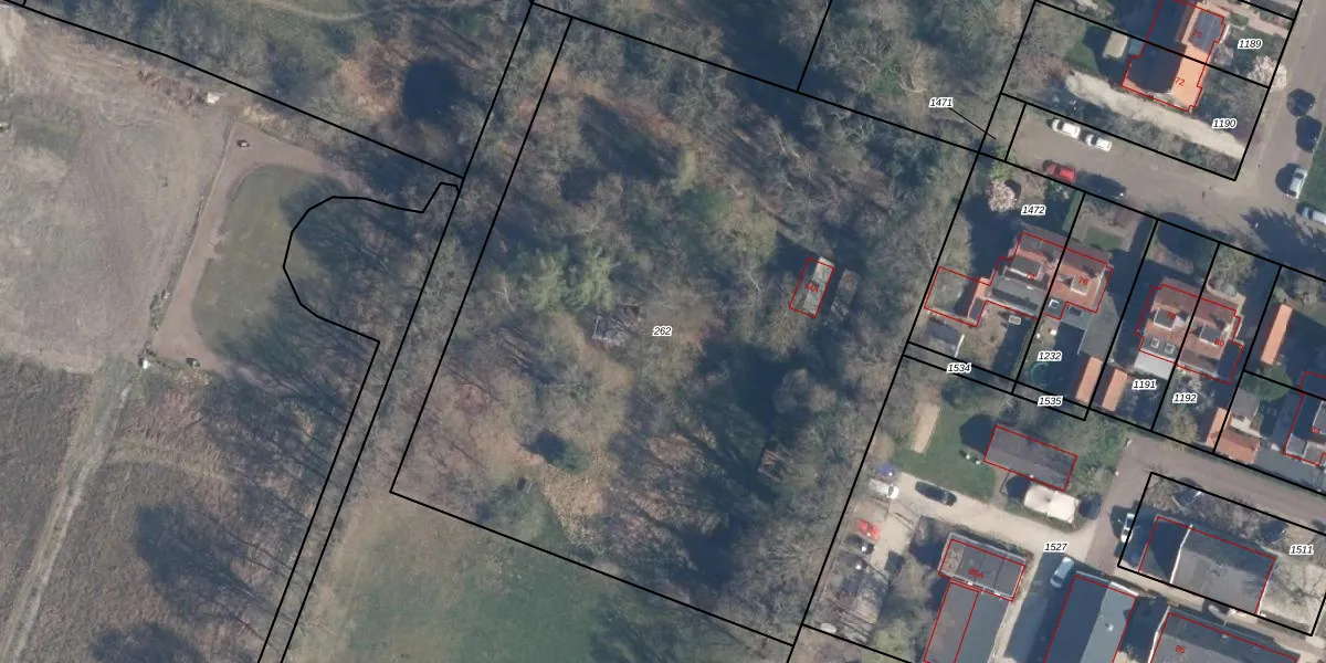
Perceel: MTD02-N-262
5.070 m2 - 286 m
Eigenaar opvragen
MTD02-N-262 (Maartensdijk)
- 3739 JR
tywatUqnXMNaMidyX1r8T6Upgrade naar KadastraleKaart Pro
Bekijk op Street View
Download DWG/DXF/Excel
3fJIJWNY XUpgrade naar KadastraleKaart Pro
A4MA5U0n396gj Upgrade naar KadastraleKaart Pro
IzANWitu3 ut7nBqhiUpgrade naar KadastraleKaart Pro
t Z FSrbmn ggX z5Upgrade naar KadastraleKaart Pro
C1HB gM9H6fISvR0oC5QAUpgrade naar KadastraleKaart Pro
jCJAjAQT 13uAdm5Upgrade naar KadastraleKaart Pro
hL gZ5 8spe4IP ucrq1D6 Upgrade naar KadastraleKaart Pro
9pv DKtuaxTzi7 Upgrade naar KadastraleKaart Pro
9rjGiSKUpgrade naar KadastraleKaart Pro
iS cw L0OZUpgrade naar KadastraleKaart Pro
08/07/2019

Percelen
Gebruik de zoekbalk of klik op een perceel om informatie over het perceel te bekijken.