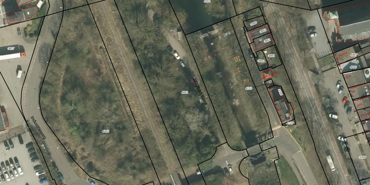
Perceel: MTT00-D-4061
KadastraleKaart.com kan meer dan je denktOntdek meer ›
Filter op bestemming 50+ datasets Eigendomsdata in één klik Percelen CRM
Geen adressen bij dit perceel
4.486 m2 - 660 m
Eigenaar opvragen
MTT00-D-4061 (Maastricht)
- Geen postcode aanwezig
Mg ZB5a xxYvC72HUpgrade naar KadastraleKaart Pro
Bekijk op Street View
Download DWG/DXF/Excel
oy gGUaSFWt1j9Upgrade naar KadastraleKaart Pro
T4tbIYNPOlhs4yTiUpgrade naar KadastraleKaart Pro
a2Ign7ncKLLfz8YCWUpgrade naar KadastraleKaart Pro
QUtW9vq Z 2LFIxby7b OpUpgrade naar KadastraleKaart Pro
smwNsk 2FepRUpgrade naar KadastraleKaart Pro
SrAK52Q4y7buhb1Y5tdUUpgrade naar KadastraleKaart Pro
X7 bKE 2OEbg1M6ZIisyUpgrade naar KadastraleKaart Pro
VY3qhr ibdV7GUsI8vUpgrade naar KadastraleKaart Pro
76M0mFR fe 6v yh0PcrUpgrade naar KadastraleKaart Pro
eHxoyJSePQd BhJUnAUpgrade naar KadastraleKaart Pro
24/01/2006

Percelen
Gebruik de zoekbalk of klik op een perceel om informatie over het perceel te bekijken.