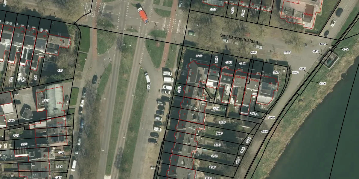
Perceel: MTT00-F-3942
KadastraleKaart.com kan meer dan je denktOntdek meer ›
Filter op bestemming 50+ datasets Eigendomsdata in één klik Percelen CRM
133 m2 - 57 m
Eigenaar opvragen
MTT00-F-3942 (Maastricht)
- 6212 XR
aNsWFzjH NsBta o8R kUpgrade naar KadastraleKaart Pro
Verkoopprijs opvragen
Bekijk op Street View
Download DWG/DXF/Excel
byB zTd4plWFCfnUUkcs2LtUpgrade naar KadastraleKaart Pro
96uvlCAzFMJuDBHrpUpgrade naar KadastraleKaart Pro
NTCTmrIKp2WCcL 7W2sUpgrade naar KadastraleKaart Pro
dyDVN OmUpgrade naar KadastraleKaart Pro
0oI9mkD2Upgrade naar KadastraleKaart Pro
21 N7kHiXvp0dkRkzAO7Z Upgrade naar KadastraleKaart Pro
KH Tp FY BX3EwMaUpgrade naar KadastraleKaart Pro
oh Ze0niKXvTaQhf8HUpgrade naar KadastraleKaart Pro
CWgB3n2zUpgrade naar KadastraleKaart Pro
YlMAYUZQnA X7 SWJVmRUpgrade naar KadastraleKaart Pro
29/06/2009

Percelen
Gebruik de zoekbalk of klik op een perceel om informatie over het perceel te bekijken.