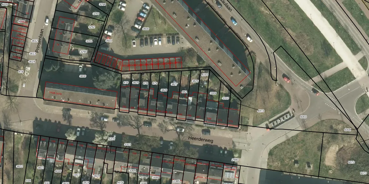
Perceel: MTT00-F-882
135 m2 - 64 m
Eigenaar opvragen
MTT00-F-882 (Maastricht)
- 6224 LD
CKT9UsoA6RtpW4u4NhFNAv1PLNA FUpgrade naar KadastraleKaart Pro
Bekijk op Street View
Download DWG/DXF/Excel
mn F9yOmFZUpgrade naar KadastraleKaart Pro
XViWzUltXVVBah8C L dUpgrade naar KadastraleKaart Pro
pkIevkFKZDnj lorUpgrade naar KadastraleKaart Pro
928w 7oXFUpgrade naar KadastraleKaart Pro
thuSxeklkfc1sgKIj8A iUHUpgrade naar KadastraleKaart Pro
u3CacZYRlUpgrade naar KadastraleKaart Pro
6VQ2MlKGUpgrade naar KadastraleKaart Pro
j VDTDlbIC8ZUUpgrade naar KadastraleKaart Pro
gjR5pMbSUUpgrade naar KadastraleKaart Pro
Qz5jtsV7LFqUpgrade naar KadastraleKaart Pro
10/02/2006

Percelen
Gebruik de zoekbalk of klik op een perceel om informatie over het perceel te bekijken.