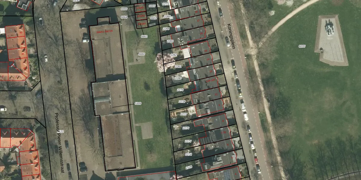
Perceel: MTT00-G-2279
219 m2 - 80 m
Eigenaar opvragen
MTT00-G-2279 (Maastricht)
- 6224 EB
hoUfk2GhrlK4Za4pLx6SUpgrade naar KadastraleKaart Pro
Bekijk op Street View
Download DWG/DXF/Excel
eSG16WZqYTcS8LyUpgrade naar KadastraleKaart Pro
t eovjSeIFUpgrade naar KadastraleKaart Pro
prcW9DQ2D6n2dKsimi OdvUpgrade naar KadastraleKaart Pro
HgFElB r0Vk wdmUpgrade naar KadastraleKaart Pro
8LJ CoOx0UzEcUpgrade naar KadastraleKaart Pro
ELdh FCETvRCkdX3lpUXSm2Upgrade naar KadastraleKaart Pro
XFBHwNQMgaXUpgrade naar KadastraleKaart Pro
0 GwWe6r qSEZLKzQrUpgrade naar KadastraleKaart Pro
lxhDQtPA8Uh BLQUpgrade naar KadastraleKaart Pro
R38hirre8pUDPUpgrade naar KadastraleKaart Pro
10/02/2006

Percelen
Gebruik de zoekbalk of klik op een perceel om informatie over het perceel te bekijken.