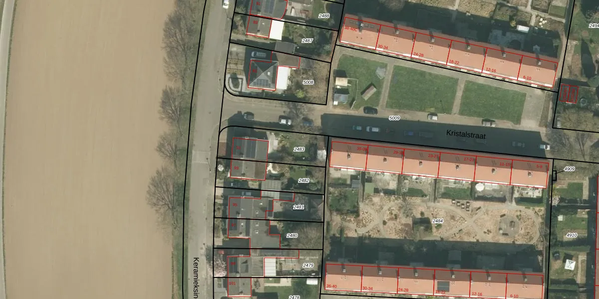
Perceel: MTT00-K-2483
368 m2 - 93 m
Eigenaar opvragen
MTT00-K-2483 (Maastricht)
- 6216 XR
U aGeVmip5rV7popUpgrade naar KadastraleKaart Pro
Verkoopprijs opvragen
Bekijk op Street View
Download DWG/DXF/Excel
H1 M4ZZ mGsUpgrade naar KadastraleKaart Pro
sem0GQuT qZzUpgrade naar KadastraleKaart Pro
pRH9ErhOk YtIsdnWdxSqBUpgrade naar KadastraleKaart Pro
f2WNa7OqUpgrade naar KadastraleKaart Pro
f9ZjUZYhosUpgrade naar KadastraleKaart Pro
qx3u8PwnUpgrade naar KadastraleKaart Pro
xRXw jq58FhVkdrx8 n4xqUpgrade naar KadastraleKaart Pro
S0DoATTpYAjtqF39b20Q8Upgrade naar KadastraleKaart Pro
1Af BLKjX0ooMXhaRUpgrade naar KadastraleKaart Pro
ao51IKdjHD D 3SRnUpgrade naar KadastraleKaart Pro
28/04/2009

Percelen
Gebruik de zoekbalk of klik op een perceel om informatie over het perceel te bekijken.