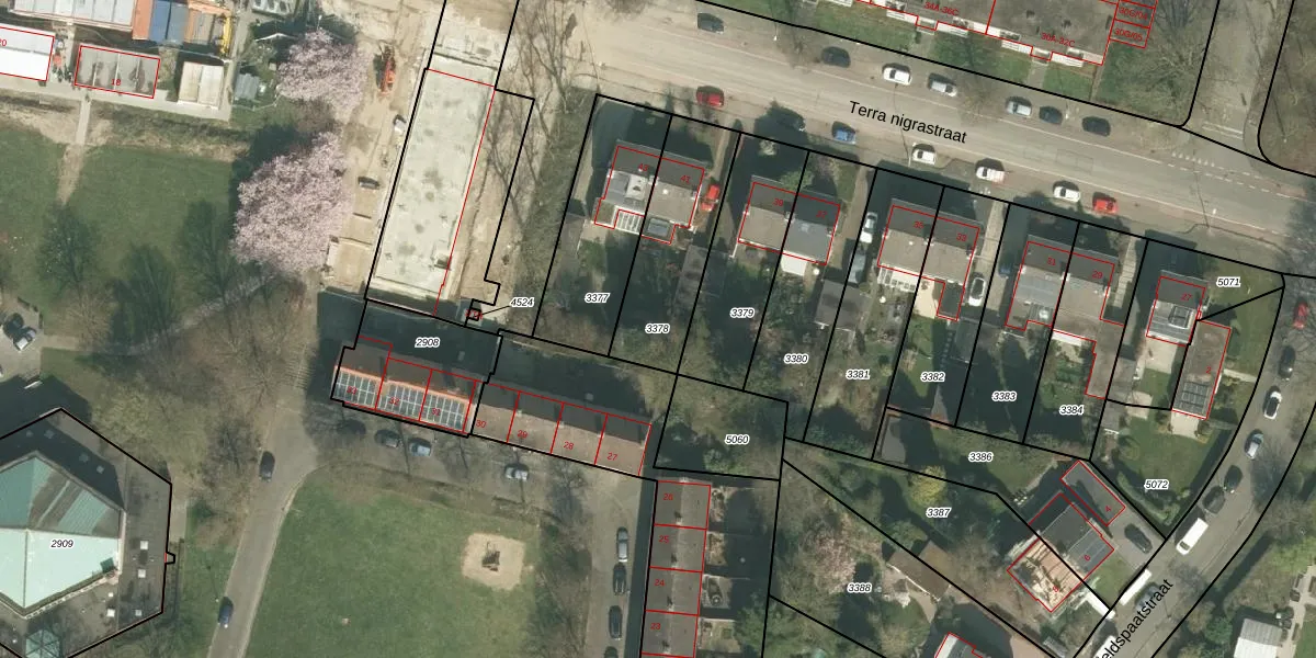
Perceel: MTT00-K-3378
KadastraleKaart.com kan meer dan je denktOntdek meer ›
Filter op bestemming 50+ datasets Eigendomsdata in één klik Percelen CRM
407 m2 - 98 m
Eigenaar opvragen
MTT00-K-3378 (Maastricht)
- 6216 BK
05 2pwJJvdf9C zF MGUpgrade naar KadastraleKaart Pro
Verkoopprijs opvragen
Bekijk op Street View
Download DWG/DXF/Excel
PjkDqL4NBUpgrade naar KadastraleKaart Pro
6 t4Ir XiboSfgfvUpgrade naar KadastraleKaart Pro
Z LC1Ei MA iRc5Upgrade naar KadastraleKaart Pro
3LkzsveKUpgrade naar KadastraleKaart Pro
u PBzYX6vIUpgrade naar KadastraleKaart Pro
rL DozOzVG6E xgnGGhtUpgrade naar KadastraleKaart Pro
qgXHrQLBapL2fiXzGEdreUpgrade naar KadastraleKaart Pro
kXZgQ Dtb1 SIH yUpgrade naar KadastraleKaart Pro
WQ 6tX1RsrZV BWvqolrKUpgrade naar KadastraleKaart Pro
Uwbb4fDkiqC5DH3WlEUpgrade naar KadastraleKaart Pro
06/01/2006

Percelen
Gebruik de zoekbalk of klik op een perceel om informatie over het perceel te bekijken.