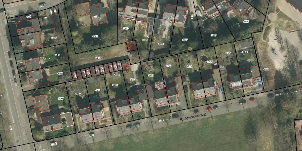
Perceel: MTT00-K-3421
KadastraleKaart.com kan meer dan je denktOntdek meer ›
Filter op bestemming 50+ datasets Eigendomsdata in één klik Percelen CRM
467 m2 - 99 m
Eigenaar opvragen
MTT00-K-3421 (Maastricht)
- 6216 TR
0xscX tCGAKY2 YMgvsMl CUpgrade naar KadastraleKaart Pro
Verkoopprijs opvragen
Bekijk op Street View
Download DWG/DXF/Excel
w AUlKzGwEWAx hUpgrade naar KadastraleKaart Pro
TvLydFZ9AI9Upgrade naar KadastraleKaart Pro
Fx uwhSC5tyujcaRMq4eUpgrade naar KadastraleKaart Pro
w1bp ROfwUpgrade naar KadastraleKaart Pro
SrXU64nIG8vUpgrade naar KadastraleKaart Pro
LcuDclY9B81yk eIkQ i9ZeUpgrade naar KadastraleKaart Pro
y5DkannYQf Hqb5f2vCY50DUpgrade naar KadastraleKaart Pro
ze0pOC B2S6M5knOpKWmuUpgrade naar KadastraleKaart Pro
E4 MGc4Cw67233dGkvuUpgrade naar KadastraleKaart Pro
IFMdG9pKTMYWw wqOUpgrade naar KadastraleKaart Pro
23/02/2012

Percelen
Gebruik de zoekbalk of klik op een perceel om informatie over het perceel te bekijken.