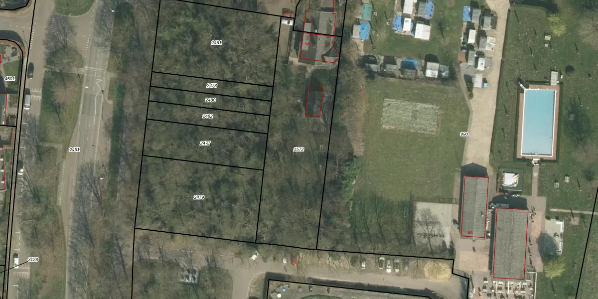
Perceel: MTT00-M-1572
KadastraleKaart.com kan meer dan je denktOntdek meer ›
Filter op bestemming 50+ datasets Eigendomsdata in één klik Percelen CRM
1.525 m2 - 194 m
Eigenaar opvragen
MTT00-M-1572 (Maastricht)
- 6212 XV
nvB8Kie2oWz6elgty Fq VsudUpgrade naar KadastraleKaart Pro
Verkoopprijs opvragen
Bekijk op Street View
Download DWG/DXF/Excel
2nd5nnTrkgHFunUpgrade naar KadastraleKaart Pro
mDfs Vy9LLjEwNSgRUpgrade naar KadastraleKaart Pro
YqYPh63TdUpgrade naar KadastraleKaart Pro
af1kHknE730oo6ZLU84Upgrade naar KadastraleKaart Pro
hUFUS8pz8jaGts g3 i6neeUpgrade naar KadastraleKaart Pro
P1CzMq9DtK1PUpgrade naar KadastraleKaart Pro
PrQMLg1lnmUpgrade naar KadastraleKaart Pro
krZnIvWeVS3ob6awUpgrade naar KadastraleKaart Pro
Ifmfiu9Llh0mPhOPZNvSoYUpgrade naar KadastraleKaart Pro
rGDtKubdUpgrade naar KadastraleKaart Pro
09/08/2018

Percelen
Gebruik de zoekbalk of klik op een perceel om informatie over het perceel te bekijken.