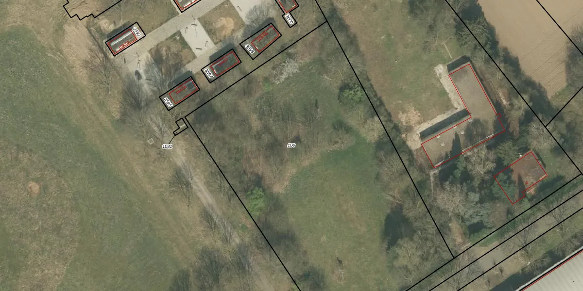
Perceel: MTT00-N-106
Geen adressen bij dit perceel
5.000 m2 - 293 m
Eigenaar opvragen
MTT00-N-106 (Maastricht)
- Geen postcode aanwezig
McOXTSpWNbJ xDFnk Ia0dBUpgrade naar KadastraleKaart Pro
Bekijk op Street View
Download DWG/DXF/Excel
bGEL CalCmrpG41lUpgrade naar KadastraleKaart Pro
F g45 A6rYnAhUpgrade naar KadastraleKaart Pro
7UnBtqjA J usgsjDTigXrUpgrade naar KadastraleKaart Pro
QSQ qMnCWdiBEJzatN1gIsUpgrade naar KadastraleKaart Pro
7BpNB8pcgdlRLXxUpgrade naar KadastraleKaart Pro
oEPsXTZ5w4BUpgrade naar KadastraleKaart Pro
f7 3 Ed25Upgrade naar KadastraleKaart Pro
q ML33vElilUpgrade naar KadastraleKaart Pro
aj boCxih8PG y8OzuHjUpgrade naar KadastraleKaart Pro
PZQXQFGbJ iNb 6z Upgrade naar KadastraleKaart Pro
14/11/2005

Percelen
Gebruik de zoekbalk of klik op een perceel om informatie over het perceel te bekijken.