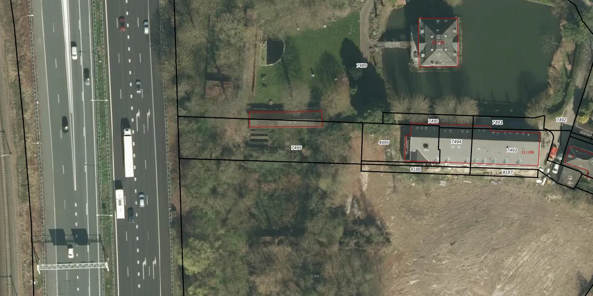
Perceel: MTT00-P-7495
KadastraleKaart.com kan meer dan je denktOntdek meer ›
Filter op bestemming 50+ datasets Eigendomsdata in één klik Percelen CRM
Geen adressen bij dit perceel
870 m2 - 152 m
Eigenaar opvragen
MTT00-P-7495 (Maastricht)
- Geen postcode aanwezig
X3FC kIYZ 5UZbXSxmawBvJdICS GUpgrade naar KadastraleKaart Pro
Bekijk op Street View
Download DWG/DXF/Excel
bgUC0fI9 mIpm 99dP Upgrade naar KadastraleKaart Pro
HmsTMYD8vSn59pIVgUpgrade naar KadastraleKaart Pro
DltwHr81eUj 3o gqM adw8Upgrade naar KadastraleKaart Pro
EFfEEdVfq3wuA9b1nczSUpgrade naar KadastraleKaart Pro
6NsgE4S KVux8hYupGQUpgrade naar KadastraleKaart Pro
3fpDW ReePlM0ieyj Upgrade naar KadastraleKaart Pro
mGjhaepDKYJXBpZugYR9Upgrade naar KadastraleKaart Pro
Q7yX7PrwUpgrade naar KadastraleKaart Pro
LQBSl5BaUpgrade naar KadastraleKaart Pro
USVVkD d1kj6Upgrade naar KadastraleKaart Pro
23/09/2010

Percelen
Gebruik de zoekbalk of klik op een perceel om informatie over het perceel te bekijken.