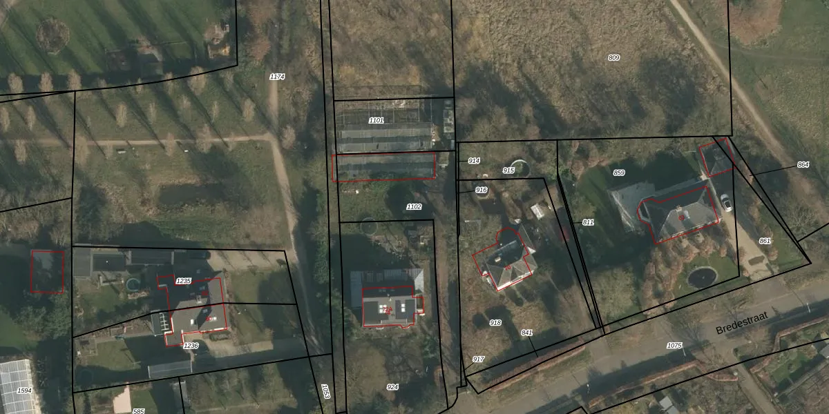
Perceel: NBH00-G-1102
KadastraleKaart.com kan meer dan je denktOntdek meer ›
Filter op bestemming 50+ datasets Eigendomsdata in één klik Percelen CRM
Geen adressen bij dit perceel
690 m2 - 178 m
Eigenaar opvragen
NBH00-G-1102 (Neerbosch)
- Geen postcode aanwezig
UEV6ChRhilwrbkFLGzgBUpgrade naar KadastraleKaart Pro
Bekijk op Street View
Download DWG/DXF/Excel
hEUokqO8VogoNv k7Upgrade naar KadastraleKaart Pro
WEPrDtQXAvpTUpgrade naar KadastraleKaart Pro
BAFoI0CG3s77bMIOwxt2YKUpgrade naar KadastraleKaart Pro
F2vZj9p6P K8fBcDm8 Upgrade naar KadastraleKaart Pro
x yzo1GCrhv iUpgrade naar KadastraleKaart Pro
EQviKkFthMQkNUpgrade naar KadastraleKaart Pro
cw3addgrvHb45fgvUpgrade naar KadastraleKaart Pro
2WIG8E 7Upgrade naar KadastraleKaart Pro
MQlvQuB1Upgrade naar KadastraleKaart Pro
ZG jqC d1FRvyib61XGpUpgrade naar KadastraleKaart Pro
15/11/2010

Percelen
Gebruik de zoekbalk of klik op een perceel om informatie over het perceel te bekijken.