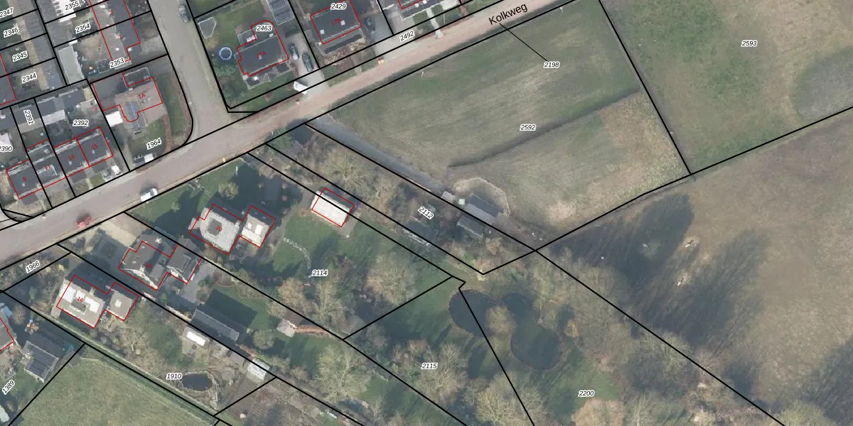
Perceel: NBK02-D-2112
Geen adressen bij dit perceel
585 m2 - 145 m
Eigenaar opvragen
NBK02-D-2112 (Nijbroek)
- Geen postcode aanwezig
pANj G3I9rh1EGw9AA9D2EqUpgrade naar KadastraleKaart Pro
Bekijk op Street View
Download DWG/DXF/Excel
IrmNUHKljAdcUGSgF l UUpgrade naar KadastraleKaart Pro
Uoa QmLdG2Upgrade naar KadastraleKaart Pro
jSKRkfd9FY fbv1xTpWMjpUpgrade naar KadastraleKaart Pro
O cP9x 1coXmoQ dMUpgrade naar KadastraleKaart Pro
w S3Ot DwFLqIfyelJM6KMOUpgrade naar KadastraleKaart Pro
GuyHPntJ5GX0EARUpgrade naar KadastraleKaart Pro
zwcBEI2RM 7WBdY6Upgrade naar KadastraleKaart Pro
z1rZ6bLBjY2Alqq0TWUpgrade naar KadastraleKaart Pro
D4Tdpzf7qUpgrade naar KadastraleKaart Pro
tNVSep5v6obzirFVYUpgrade naar KadastraleKaart Pro
10/12/2001

Percelen
Gebruik de zoekbalk of klik op een perceel om informatie over het perceel te bekijken.