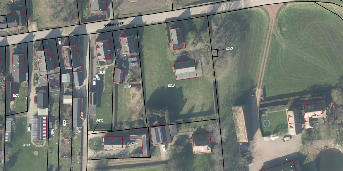
Perceel: NBK02-F-1443
2.528 m2 - 204 m
Eigenaar opvragen
NBK02-F-1443 (Nijbroek)
- 7396 BG
bYpIg5R DCBbbY1IR1 Rq Z 3VxGlUpgrade naar KadastraleKaart Pro
Bekijk op Street View
Download DWG/DXF/Excel
GwbeTJ 8 X vY2bJlJ03Upgrade naar KadastraleKaart Pro
cC0lH bw54GObc1Upgrade naar KadastraleKaart Pro
4l0vmYIptUpgrade naar KadastraleKaart Pro
XP bD FrOmSSEVo3Upgrade naar KadastraleKaart Pro
5Yf8zGale8vUpgrade naar KadastraleKaart Pro
8yWwbW 3dUpgrade naar KadastraleKaart Pro
Mz bcqhb KeHiX 3 Ol Upgrade naar KadastraleKaart Pro
Ip 52GfhBZkq0q0TU8Ku Upgrade naar KadastraleKaart Pro
Ev24Q5zFxYqv 7ySGWRIUpgrade naar KadastraleKaart Pro
V0U yHkzjB GLO9QPORT0hUpgrade naar KadastraleKaart Pro
01/07/2004

Percelen
Gebruik de zoekbalk of klik op een perceel om informatie over het perceel te bekijken.