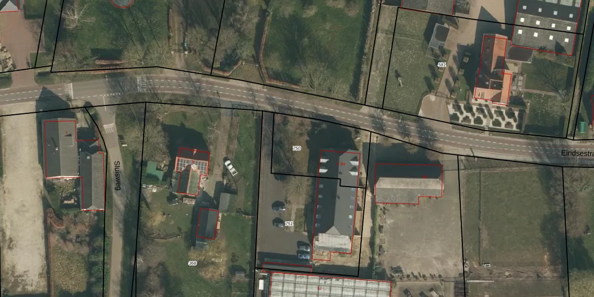
Perceel: NDA00-D-750
KadastraleKaart.com kan meer dan je denktOntdek meer ›
Filter op bestemming 50+ datasets Eigendomsdata in één klik Percelen CRM
639 m2 - 107 m
Eigenaar opvragen
NDA00-D-750 (Nederasselt)
- 6612 AJ
IFyL2tdyfh0jEaRq W2cLa478dGQUpgrade naar KadastraleKaart Pro
Verkoopprijs opvragen
Bekijk op Street View
Download DWG/DXF/Excel
8KWA0afcWRH 6M872p5DUpgrade naar KadastraleKaart Pro
nINJQ 2eysU laeUpgrade naar KadastraleKaart Pro
sz27zBR7Upgrade naar KadastraleKaart Pro
l lKmBDUVueTDzs8fVFQ2BUpgrade naar KadastraleKaart Pro
uXKzguYqLugP6Upgrade naar KadastraleKaart Pro
sLQJLxuL9mW 5G0nmWfFh4Upgrade naar KadastraleKaart Pro
T99P7L0JRfV1AdAViiFp0ODUpgrade naar KadastraleKaart Pro
GOZqu5tLUpgrade naar KadastraleKaart Pro
zY kOvISnRbqvhQDYaHBNUpgrade naar KadastraleKaart Pro
DVkA87RDR3NBzUpgrade naar KadastraleKaart Pro
29/08/2023

Percelen
Gebruik de zoekbalk of klik op een perceel om informatie over het perceel te bekijken.