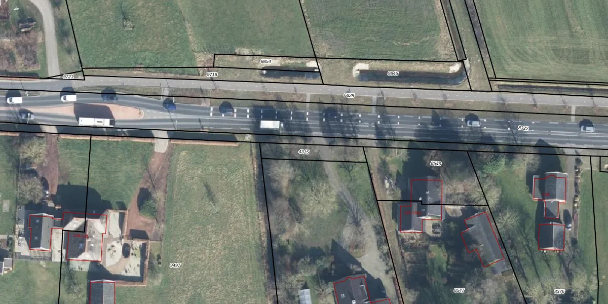
Perceel: NDE00-C-4315
Geen adressen bij dit perceel
210 m2 - 79 m
Eigenaar opvragen
NDE00-C-4315 (Neede)
- Geen postcode aanwezig
xjJpDtAu1ajOo186TBuOCmzK5bgkhUpgrade naar KadastraleKaart Pro
Bekijk op Street View
Download DWG/DXF/Excel
yx A ex7ylarkmyUpgrade naar KadastraleKaart Pro
joM mfh1hvN6Fkl MUpgrade naar KadastraleKaart Pro
OR76dlm uNUUpgrade naar KadastraleKaart Pro
KX1UKOr7sK95Th4HFkUpgrade naar KadastraleKaart Pro
y8j33MACPCUpgrade naar KadastraleKaart Pro
nb zvJvCbUpgrade naar KadastraleKaart Pro
Us sQqV tNuUpgrade naar KadastraleKaart Pro
smwQ ZgnJjE3 QUpgrade naar KadastraleKaart Pro
P fFzKB fO8Jx2IojhR2BUpgrade naar KadastraleKaart Pro
vTHe 9RoZBZUpgrade naar KadastraleKaart Pro
22/07/2010

Percelen
Gebruik de zoekbalk of klik op een perceel om informatie over het perceel te bekijken.