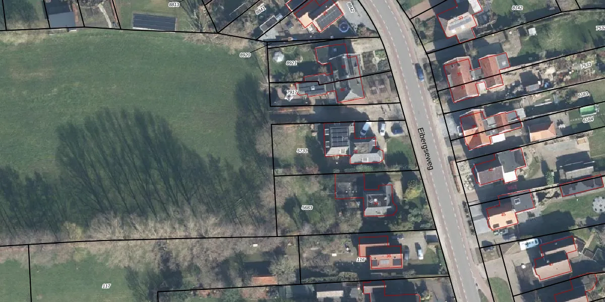
Perceel: NDE00-C-5731
KadastraleKaart.com kan meer dan je denktOntdek meer ›
Filter op bestemming 50+ datasets Eigendomsdata in één klik Percelen CRM
737 m2 - 127 m
Eigenaar opvragen
NDE00-C-5731 (Neede)
- 7161 AL
0oLAveXBHTa cUF 9lSZFwSUpgrade naar KadastraleKaart Pro
Bekijk op Street View
Download DWG/DXF/Excel
LQUI FSsVOvUpgrade naar KadastraleKaart Pro
EbvUARzVx9wxVZUpgrade naar KadastraleKaart Pro
Vv0j lpdq2 IImY78hUpgrade naar KadastraleKaart Pro
e5PgukFF7bRYonI drj YUpgrade naar KadastraleKaart Pro
UdCXTqUmZKIB ReUpgrade naar KadastraleKaart Pro
9rlYemkXBFeuQUpgrade naar KadastraleKaart Pro
g4dCt7nRTpVYgUpgrade naar KadastraleKaart Pro
19zB8TtbzeVqFwUpgrade naar KadastraleKaart Pro
yd7vE fU8mcLBc6uZZjpD Upgrade naar KadastraleKaart Pro
MwA2z6xEp ozYWMA8JYpUpgrade naar KadastraleKaart Pro
17/04/2007

Percelen
Gebruik de zoekbalk of klik op een perceel om informatie over het perceel te bekijken.