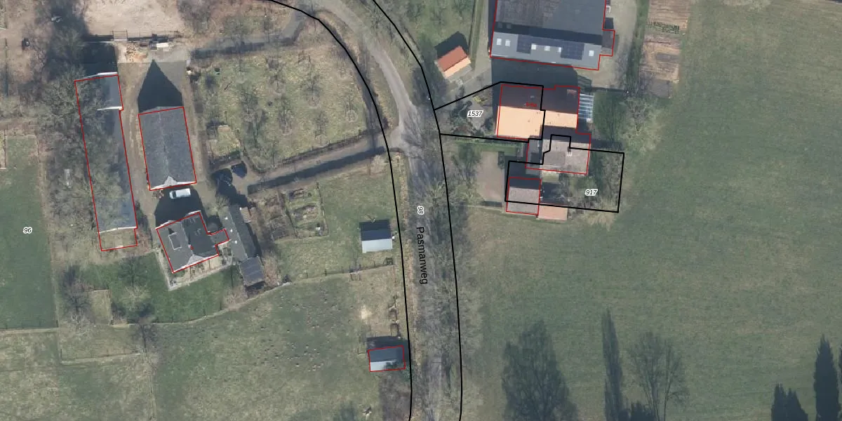
Perceel: NDE00-H-98
KadastraleKaart.com kan meer dan je denktOntdek meer ›
Filter op bestemming 50+ datasets Eigendomsdata in één klik Percelen CRM
Geen adressen bij dit perceel
5.180 m2 - 922 m
Eigenaar opvragen
NDE00-H-98 (Neede)
- Geen postcode aanwezig
NWyvVSvY7MFVRXU0XeUpgrade naar KadastraleKaart Pro
Bekijk op Street View
Download DWG/DXF/Excel
oeH7anWm XqPsx PJjkUpgrade naar KadastraleKaart Pro
y ILb3jOCUpgrade naar KadastraleKaart Pro
usr5lH OkP ccXdxMUpgrade naar KadastraleKaart Pro
ParL08 am1VS6XZfNUpgrade naar KadastraleKaart Pro
o2YO12stnnADJ5gMT2 8g nUpgrade naar KadastraleKaart Pro
R LusIo nB xjkXbuUpgrade naar KadastraleKaart Pro
won8x7d9HExLp4EfUpgrade naar KadastraleKaart Pro
lr1SQ1ty1iD0PWruJZMVMUpgrade naar KadastraleKaart Pro
WtQrD0C Qy pOEmr Upgrade naar KadastraleKaart Pro
zLS0uhgdSlIONY23kUpgrade naar KadastraleKaart Pro
19/11/2019

Percelen
Gebruik de zoekbalk of klik op een perceel om informatie over het perceel te bekijken.