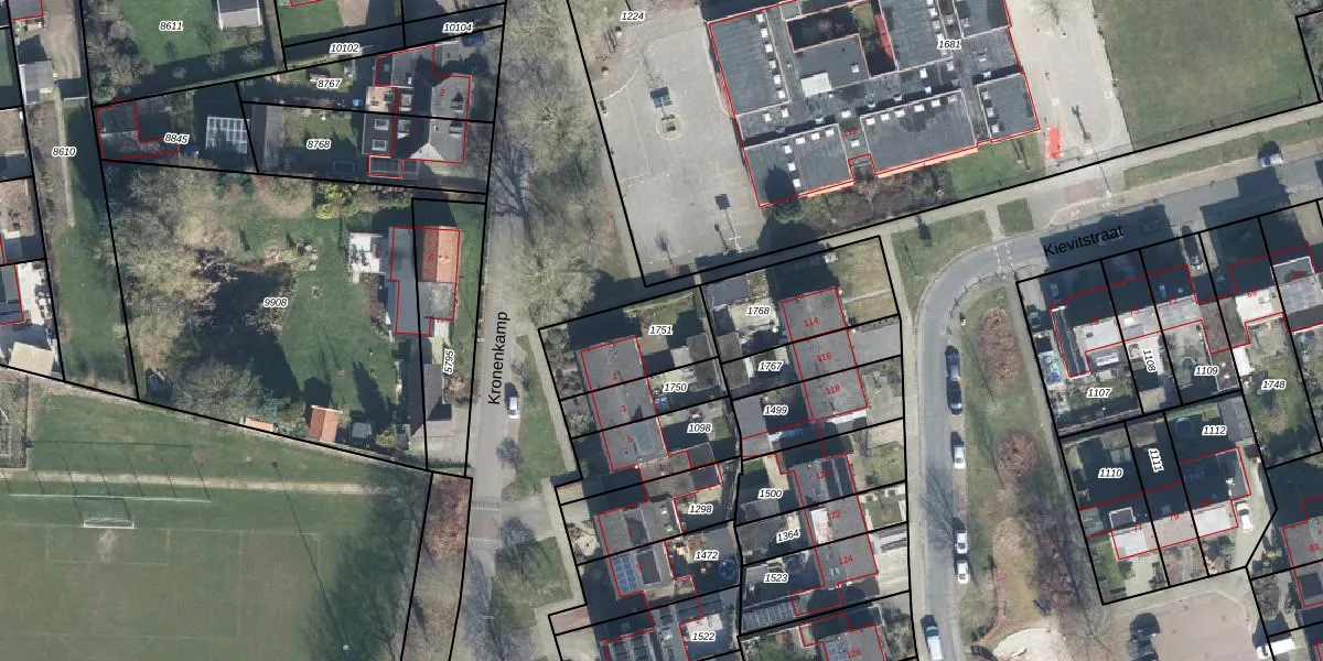
Perceel: NDE00-I-1751
282 m2 - 73 m
Eigenaar opvragen
NDE00-I-1751 (Neede)
- 7161 HE
KLpkrPn wTMNyDoIfrlj2A9FUpgrade naar KadastraleKaart Pro
Bekijk op Street View
Download DWG/DXF/Excel
fYITb19u1tZ8tMafekAUpgrade naar KadastraleKaart Pro
MSUxJgZBMhUQA Upgrade naar KadastraleKaart Pro
0j4GhHGL 5TtUpgrade naar KadastraleKaart Pro
S8DsTARFzUpgrade naar KadastraleKaart Pro
RpjK9NJtGrFYyUpgrade naar KadastraleKaart Pro
9yu N pDuUpgrade naar KadastraleKaart Pro
GSjT H AvRGzx aGeUpgrade naar KadastraleKaart Pro
Cqd5S4ISrluBMpcsXWxR Upgrade naar KadastraleKaart Pro
IMazNBcEf20XUhgUpgrade naar KadastraleKaart Pro
i1hmduSFOCloU4KUpgrade naar KadastraleKaart Pro
25/09/2019

Percelen
Gebruik de zoekbalk of klik op een perceel om informatie over het perceel te bekijken.