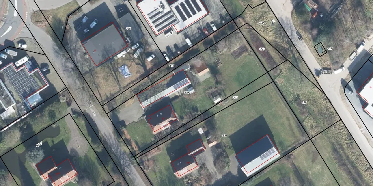
Perceel: NDE00-L-359
KadastraleKaart.com kan meer dan je denktOntdek meer ›
Filter op bestemming 50+ datasets Eigendomsdata in één klik Percelen CRM
2.355 m2 - 225 m
Eigenaar opvragen
NDE00-L-359 (Neede)
- 7161 RN
gYXmAmZhX0VZyt 1w5WTXL5szVUpgrade naar KadastraleKaart Pro
Bekijk op Street View
Download DWG/DXF/Excel
Lt3BrVi9Y5XKv9GQ8SMCG kUpgrade naar KadastraleKaart Pro
Qgso yay U5J6nQ9Upgrade naar KadastraleKaart Pro
I6bQ3tCIHA okUj6glgRUpgrade naar KadastraleKaart Pro
tbCwTw fh1wgUpgrade naar KadastraleKaart Pro
7CROO1HpdAC1bzHb9nuJrGZUpgrade naar KadastraleKaart Pro
0QF91 u5 PeOj1b1BwUpgrade naar KadastraleKaart Pro
W H l8eHjUpgrade naar KadastraleKaart Pro
fNzgrgAZ0Ta7Iq4gwPB60Upgrade naar KadastraleKaart Pro
ZboHiA ys4a9YUpgrade naar KadastraleKaart Pro
MMVI3qA ku3CaCMxUpgrade naar KadastraleKaart Pro
18/07/2019

Percelen
Gebruik de zoekbalk of klik op een perceel om informatie over het perceel te bekijken.