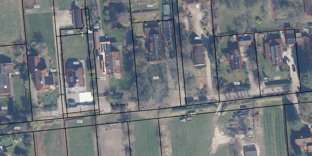
Perceel: NDH01-C-2876
KadastraleKaart.com kan meer dan je denktOntdek meer ›
Filter op bestemming 50+ datasets Eigendomsdata in één klik Percelen CRM
1.480 m2 - 166 m
Eigenaar opvragen
NDH01-C-2876 (Nederhorst den Berg)
- 1394 AZ
CsyAnCe a1yDUJ13 Vn Td zsUpgrade naar KadastraleKaart Pro
Verkoopprijs opvragen
Bekijk op Street View
Download DWG/DXF/Excel
iChRZg 7oyw85B 2Upgrade naar KadastraleKaart Pro
TGR3oaq WUpgrade naar KadastraleKaart Pro
hrhqfW4qDFnqFjRi9sPQUpgrade naar KadastraleKaart Pro
H6kSQEwOp65o3Mcat7 1U3Upgrade naar KadastraleKaart Pro
nnsW86V3Lvv918Upgrade naar KadastraleKaart Pro
qf sMetedcLZIb gQCUpgrade naar KadastraleKaart Pro
c W31ZCQ pp hTUpgrade naar KadastraleKaart Pro
x2koqnwS8yP8hY2S 2itDWkUpgrade naar KadastraleKaart Pro
q ZXRq1s gSapopmVlUpgrade naar KadastraleKaart Pro
kN N JKcJDUpgrade naar KadastraleKaart Pro
28/12/1998

Percelen
Gebruik de zoekbalk of klik op een perceel om informatie over het perceel te bekijken.