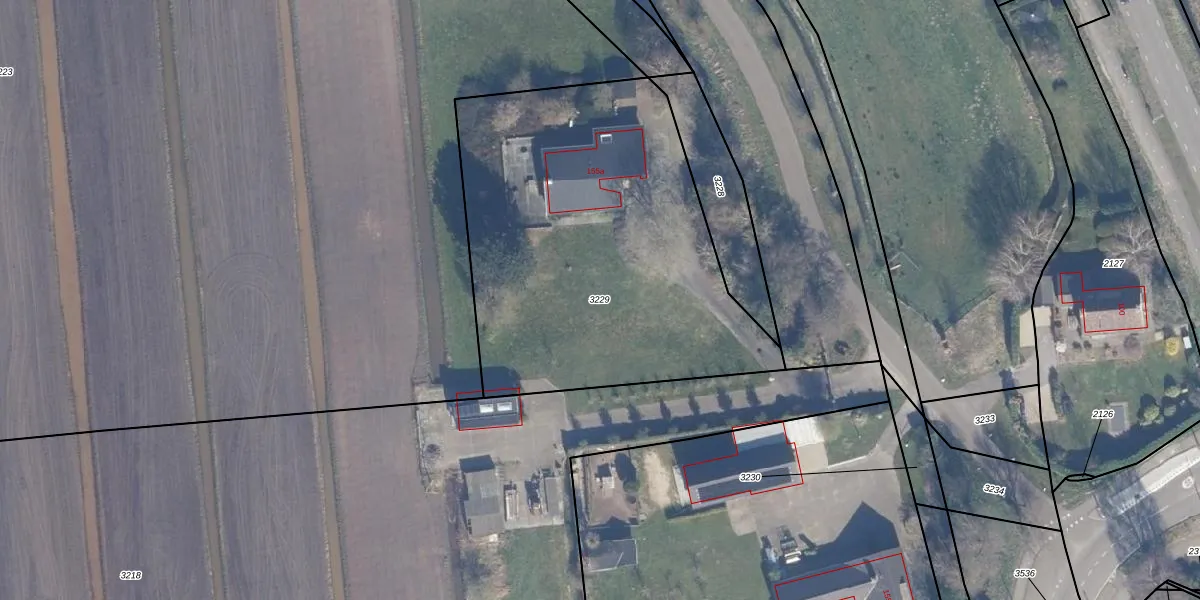
Perceel: NDH01-C-3229
KadastraleKaart.com kan meer dan je denktOntdek meer ›
Filter op bestemming 50+ datasets Eigendomsdata in één klik Percelen CRM
2.033 m2 - 188 m
Eigenaar opvragen
NDH01-C-3229 (Nederhorst den Berg)
- 1394 AH
J8khJUTapOb9Hp1QfV NJsPTWM9QUpgrade naar KadastraleKaart Pro
Verkoopprijs opvragen
Bekijk op Street View
Download DWG/DXF/Excel
S9iUCip8XwdNgTPEcSO3Upgrade naar KadastraleKaart Pro
ERp3OfGG8JCS6DUpgrade naar KadastraleKaart Pro
SwUl3h3X 6tUpgrade naar KadastraleKaart Pro
SXD0kcc1Upgrade naar KadastraleKaart Pro
g37XUbqlUpgrade naar KadastraleKaart Pro
9vCQzXrHpCybqMhJjUpgrade naar KadastraleKaart Pro
m9 7swqZlUpgrade naar KadastraleKaart Pro
HKOG4 gUpgrade naar KadastraleKaart Pro
2HukV Zk5aE11V DkbU2nUpgrade naar KadastraleKaart Pro
Qn 1EYUpgrade naar KadastraleKaart Pro
13/10/1999

Percelen
Gebruik de zoekbalk of klik op een perceel om informatie over het perceel te bekijken.