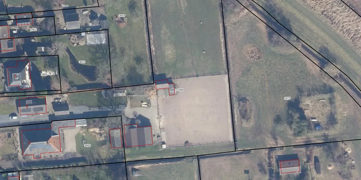
Perceel: NDH01-C-3399
KadastraleKaart.com kan meer dan je denktOntdek meer ›
Filter op bestemming 50+ datasets Eigendomsdata in één klik Percelen CRM
6.732 m2 - 510 m
Eigenaar opvragen
NDH01-C-3399 (Nederhorst den Berg)
- 1394 AP
C Rawo Lf6 UwSUpgrade naar KadastraleKaart Pro
Verkoopprijs opvragen
Bekijk op Street View
Download DWG/DXF/Excel
H851yvbbkzI6jx 2Ht FUpgrade naar KadastraleKaart Pro
uklMlM wUpgrade naar KadastraleKaart Pro
3NlrOslde B2Upgrade naar KadastraleKaart Pro
k8ccH3TrfDfkpjStxNY9XvnUpgrade naar KadastraleKaart Pro
LDL0 DuTOco1KXUpgrade naar KadastraleKaart Pro
cLDESvYS1eyzBOweUpgrade naar KadastraleKaart Pro
leV8XkQfw2Zy0jl89H 0kekUpgrade naar KadastraleKaart Pro
xEs3JAsCqjXodcaB9I O0dUpgrade naar KadastraleKaart Pro
d1ZcBSnqmf AnUy2Upgrade naar KadastraleKaart Pro
fy fTYSVgmKhSV FvU1YUpgrade naar KadastraleKaart Pro
10/12/2009

Percelen
Gebruik de zoekbalk of klik op een perceel om informatie over het perceel te bekijken.