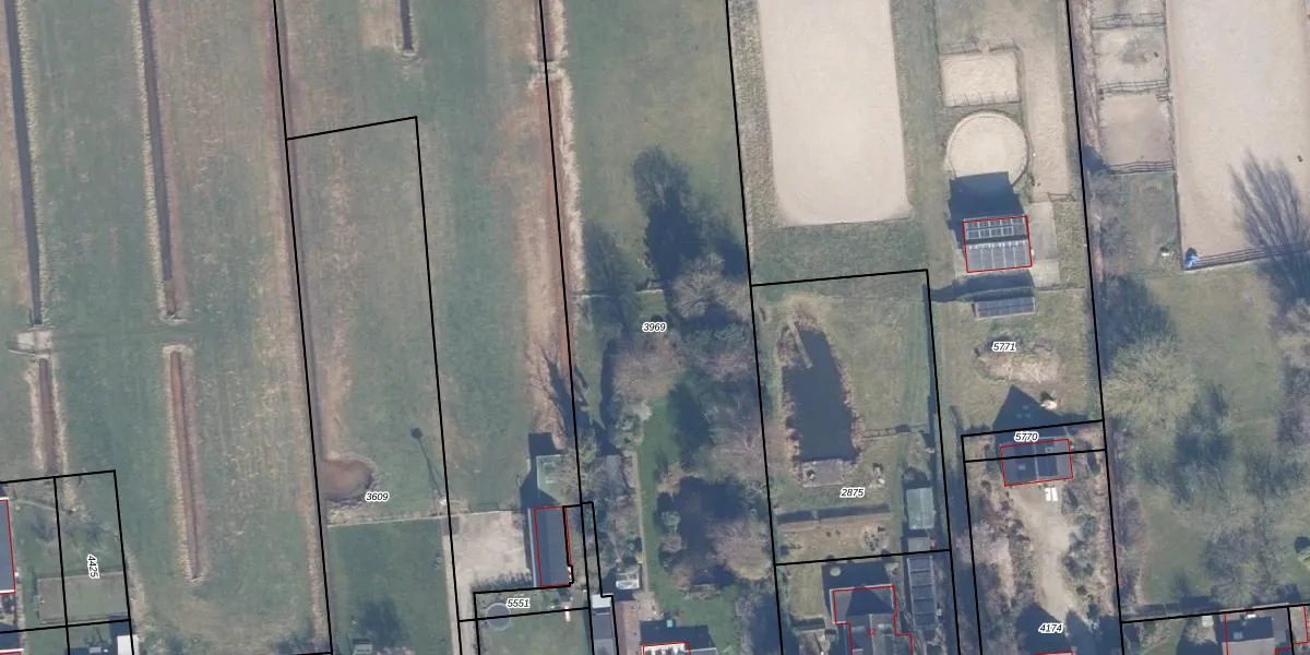
Perceel: NDH01-C-3969
KadastraleKaart.com kan meer dan je denktOntdek meer ›
Filter op bestemming 50+ datasets Eigendomsdata in één klik Percelen CRM
4.430 m2 - 375 m
Eigenaar opvragen
NDH01-C-3969 (Nederhorst den Berg)
- 1394 AZ
ND llPxykIgtVyinLkUpgrade naar KadastraleKaart Pro
Verkoopprijs opvragen
Bekijk op Street View
Download DWG/DXF/Excel
UELzQwuMUHQUpgrade naar KadastraleKaart Pro
iHDJRP3DKSLuDTK 4wUpgrade naar KadastraleKaart Pro
AeqLKOneTUpgrade naar KadastraleKaart Pro
zZwwJK2E 3k D6OKjpIzUpgrade naar KadastraleKaart Pro
YMvkeH8PdWOMS1n6a5LGoUpgrade naar KadastraleKaart Pro
JGgtEM5I6szUpgrade naar KadastraleKaart Pro
l8UOluHFh YC x8GIy Upgrade naar KadastraleKaart Pro
OkValQT RYnns2mj1iUpgrade naar KadastraleKaart Pro
qUgLEnpjM0 Upgrade naar KadastraleKaart Pro
L 4 ZdYFyFUpgrade naar KadastraleKaart Pro
10/10/2023

Percelen
Gebruik de zoekbalk of klik op een perceel om informatie over het perceel te bekijken.