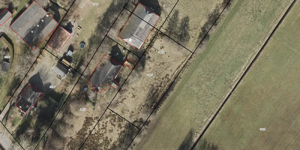
Perceel: NDK00-G-1425
Geen adressen bij dit perceel
1.722 m2 - 177 m
Eigenaar opvragen
NDK00-G-1425 (Noorddijk)
- Geen postcode aanwezig
UTdPPfbIf auVn2NDxUpgrade naar KadastraleKaart Pro
Bekijk op Street View
Download DWG/DXF/Excel
2Qmlx E lw Upgrade naar KadastraleKaart Pro
e 3KPy5QZt0c2 EvyApdZUpgrade naar KadastraleKaart Pro
v2 37JvW z4Upgrade naar KadastraleKaart Pro
5dg8VZf5Ou0ixzXUpgrade naar KadastraleKaart Pro
Kk akHLncEUbRvUpgrade naar KadastraleKaart Pro
yqlnYlxZJnzZaYR3GUpgrade naar KadastraleKaart Pro
Vjz1 VBi BhnxJ92ZkUpgrade naar KadastraleKaart Pro
KIERJCnQAyYiAuUpgrade naar KadastraleKaart Pro
C Q74c b40 W3Upgrade naar KadastraleKaart Pro
d3X1ARcO9r651b9Upgrade naar KadastraleKaart Pro
24/04/2003

Percelen
Gebruik de zoekbalk of klik op een perceel om informatie over het perceel te bekijken.