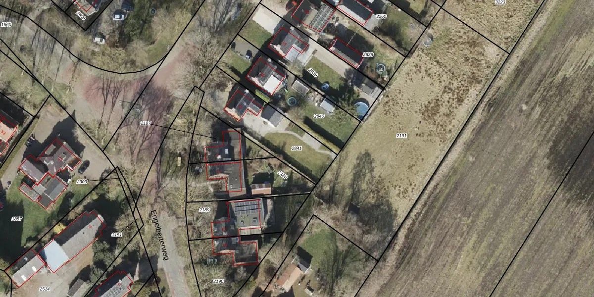
Perceel: NDK00-G-2841
KadastraleKaart.com kan meer dan je denktOntdek meer ›
Filter op bestemming 50+ datasets Eigendomsdata in één klik Percelen CRM
642 m2 - 127 m
Eigenaar opvragen
NDK00-G-2841 (Noorddijk)
- 9723 EC
E3Ky nRgs 1kzh tj zRJHEIXUpgrade naar KadastraleKaart Pro
Verkoopprijs opvragen
Bekijk op Street View
Download DWG/DXF/Excel
kOt ocHfUpgrade naar KadastraleKaart Pro
m fL46J5iUpgrade naar KadastraleKaart Pro
HDF8QPz9zUpgrade naar KadastraleKaart Pro
iM8PtiWe99BNHRUNYlvtrfUpgrade naar KadastraleKaart Pro
4swh1q0THgF wZiv5Upgrade naar KadastraleKaart Pro
9Z2YUVelkvjDXZ2uy aAO0dUpgrade naar KadastraleKaart Pro
VK7M2TWUvzyUpgrade naar KadastraleKaart Pro
Mx8 ddsqIQh6BfTaUpgrade naar KadastraleKaart Pro
jH96xwzTtCLJflUpgrade naar KadastraleKaart Pro
IsHtHX6dzx4XKdsU8vBl6Upgrade naar KadastraleKaart Pro
03/09/2007

Percelen
Gebruik de zoekbalk of klik op een perceel om informatie over het perceel te bekijken.