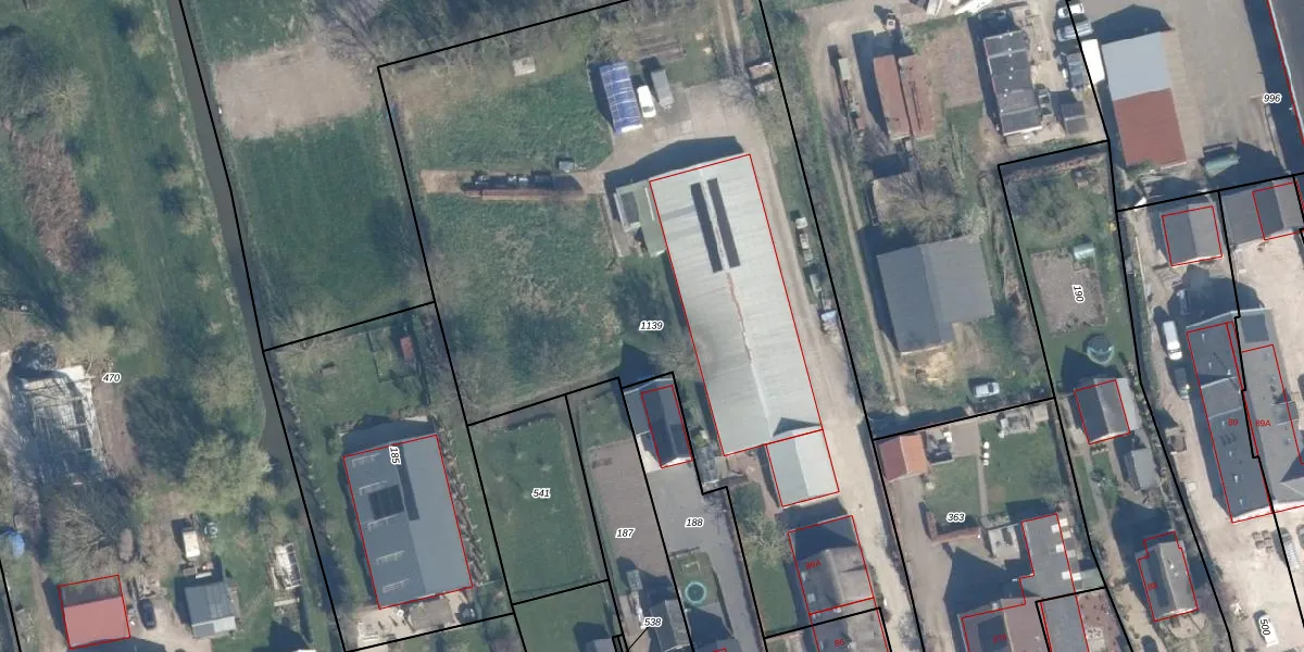
Perceel: NDL00-C-1139
4.523 m2 - 373 m
Eigenaar opvragen
NDL00-C-1139 (Noordeloos)
- 4225 PK
6nSF CNhq0lUiOpF QDYaUpgrade naar KadastraleKaart Pro
Bekijk op Street View
Download DWG/DXF/Excel
0ZRsI7FPjqr8llZ6gHZmK 6Upgrade naar KadastraleKaart Pro
pzzb zaX84lI72XUpgrade naar KadastraleKaart Pro
G BiXyVb65Q6 TXLAUpgrade naar KadastraleKaart Pro
6JlOpzJtbzQCPxgi4OSUpgrade naar KadastraleKaart Pro
3eYQKah Bj Upgrade naar KadastraleKaart Pro
Yoxt E KiC xUpgrade naar KadastraleKaart Pro
9nBBH0E 4QfUpgrade naar KadastraleKaart Pro
SDC G 3 ZP7eHRCUpgrade naar KadastraleKaart Pro
ao8x Ibz6jSo1XJUccB6IaIUpgrade naar KadastraleKaart Pro
VwnU5u 2Upgrade naar KadastraleKaart Pro
19/06/2025

Percelen
Gebruik de zoekbalk of klik op een perceel om informatie over het perceel te bekijken.