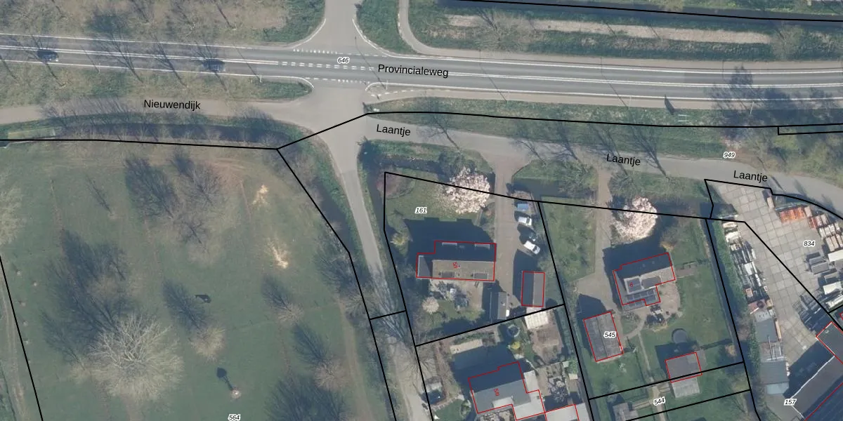
Perceel: NDL00-D-161
KadastraleKaart.com kan meer dan je denktOntdek meer ›
Filter op bestemming 50+ datasets Eigendomsdata in één klik Percelen CRM
1.230 m2 - 141 m
Eigenaar opvragen
NDL00-D-161 (Noordeloos)
- 4225 PC
2emiSA RL3gmkj QP4 ttDZyG7XUYUpgrade naar KadastraleKaart Pro
Bekijk op Street View
Download DWG/DXF/Excel
0id TOVnZEhoIAe1mN 8Upgrade naar KadastraleKaart Pro
r6fjTiSMBUpgrade naar KadastraleKaart Pro
pnuFDPdbYS0 Ac4gIgaL4sUpgrade naar KadastraleKaart Pro
pi lKth necOrSB97pqpUpgrade naar KadastraleKaart Pro
u28zE5JTSrkUpgrade naar KadastraleKaart Pro
9lDcpNCSzQjs78hJUpgrade naar KadastraleKaart Pro
5bC f kC fzXu JymXFDyUpgrade naar KadastraleKaart Pro
OPZsQlUz79lOhr YBlKdUpgrade naar KadastraleKaart Pro
wL13mgSfT YeeHVBUpgrade naar KadastraleKaart Pro
Tpdl24NaRmLr20IeUpgrade naar KadastraleKaart Pro
11/09/2001

Percelen
Gebruik de zoekbalk of klik op een perceel om informatie over het perceel te bekijken.