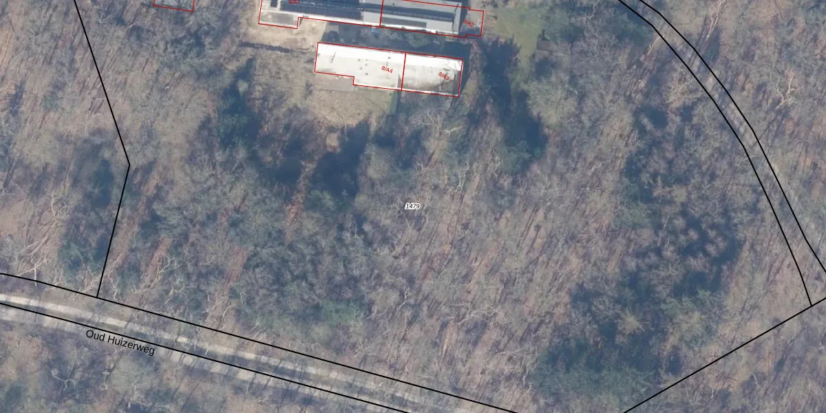
Perceel: NDN00-B-1479
KadastraleKaart.com kan meer dan je denktOntdek meer ›
Filter op bestemming 50+ datasets Eigendomsdata in één klik Percelen CRM
17.612 m2 - 511 m
Eigenaar opvragen
NDN00-B-1479 (Naarden)
- 1411 HA
Ucq6 dhu4SSHQZQq0zi8 GH2 TvUpgrade naar KadastraleKaart Pro
Bekijk op Street View
Download DWG/DXF/Excel
8OUG MoaS hdk7E Upgrade naar KadastraleKaart Pro
REzyz2e5wcCHhjF8DUpgrade naar KadastraleKaart Pro
n3o b nJ Upgrade naar KadastraleKaart Pro
5HQU33rr9SNBynqd Upgrade naar KadastraleKaart Pro
Cx82RX vjBxuZPeTvo1sSYoUpgrade naar KadastraleKaart Pro
i ocD2dmBkJq3V5 Upgrade naar KadastraleKaart Pro
eg9ykq4yqE0pDSixiM Upgrade naar KadastraleKaart Pro
RWQKsBYFckaGl58V1M4Upgrade naar KadastraleKaart Pro
GxaW03mKffkGm OhbUpgrade naar KadastraleKaart Pro
WYqLIKu 8lqEZbV V0eL8kaUpgrade naar KadastraleKaart Pro
06/07/1999

Percelen
Gebruik de zoekbalk of klik op een perceel om informatie over het perceel te bekijken.