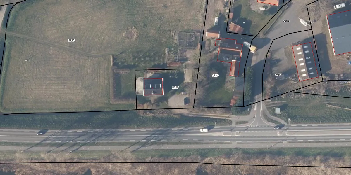
Perceel: NDP02-A-2735
KadastraleKaart.com kan meer dan je denktOntdek meer ›
Filter op bestemming 50+ datasets Eigendomsdata in één klik Percelen CRM
800 m2 - 114 m
Eigenaar opvragen
NDP02-A-2735 (Niedorp)
- 1767 EC
iTDZizHkpx50JgAWUpgrade naar KadastraleKaart Pro
Verkoopprijs opvragen
Bekijk op Street View
Download DWG/DXF/Excel
LHYesCxNsmCUpgrade naar KadastraleKaart Pro
83MViWxiHNUpgrade naar KadastraleKaart Pro
PA8 Rs 9 6Upgrade naar KadastraleKaart Pro
tvit1a 3c2uUpgrade naar KadastraleKaart Pro
GwTdFZ8ueJUpgrade naar KadastraleKaart Pro
yj1lhhz5hagrPFeMYeQw6Upgrade naar KadastraleKaart Pro
ojqy pOjqRn2GX3aY MUpgrade naar KadastraleKaart Pro
Wzyb E86Ji s7x oahEszOUpgrade naar KadastraleKaart Pro
L 9daVGf FG 3Upgrade naar KadastraleKaart Pro
eURd2 0K05VD4T19wKC8Upgrade naar KadastraleKaart Pro
06/10/2008

Percelen
Gebruik de zoekbalk of klik op een perceel om informatie over het perceel te bekijken.