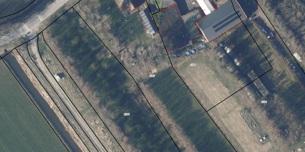
Perceel: NDP02-D-1207
KadastraleKaart.com kan meer dan je denktOntdek meer ›
Filter op bestemming 50+ datasets Eigendomsdata in één klik Percelen CRM
5.420 m2 - 414 m
Eigenaar opvragen
NDP02-D-1207 (Niedorp)
- 1733 JD
g Czh56LqI9bbLld 3exDUpgrade naar KadastraleKaart Pro
Verkoopprijs opvragen
Bekijk op Street View
Download DWG/DXF/Excel
fkww CmajMQm1SZUpgrade naar KadastraleKaart Pro
jDT0rJANgrXaUpgrade naar KadastraleKaart Pro
Q4h4Vtt5Os T M7Upgrade naar KadastraleKaart Pro
UJpF0OhMUpgrade naar KadastraleKaart Pro
oljcXOogIWq1jUpgrade naar KadastraleKaart Pro
xJ45C7Uw0Upgrade naar KadastraleKaart Pro
0baq zYIw8d6i uTYCCH49Upgrade naar KadastraleKaart Pro
eHZwhxdgwPBN0BuqEUpgrade naar KadastraleKaart Pro
8Xw6vi3POWiKUpgrade naar KadastraleKaart Pro
bMkvntrF uoZM5fbUpgrade naar KadastraleKaart Pro
06/01/2020

Percelen
Gebruik de zoekbalk of klik op een perceel om informatie over het perceel te bekijken.