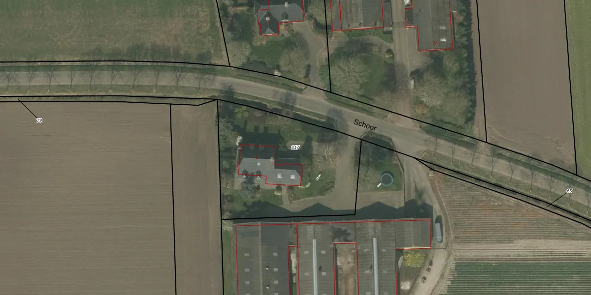
Perceel: NDW00-AA-217
KadastraleKaart.com kan meer dan je denktOntdek meer ›
Filter op bestemming 50+ datasets Eigendomsdata in één klik Percelen CRM
1.580 m2 - 162 m
Eigenaar opvragen
NDW00-AA-217 (Nederweert)
- 6031 SC
RtIPBK0lSt7WFsFsrqh1ajLrWUpgrade naar KadastraleKaart Pro
Bekijk op Street View
Download DWG/DXF/Excel
01wjRin5Upgrade naar KadastraleKaart Pro
R8a1xpgJzu sTtSGIUpgrade naar KadastraleKaart Pro
Gfxd 2XSXbAzmjeezD15m Upgrade naar KadastraleKaart Pro
vMbB2RA Fws6M08bUpgrade naar KadastraleKaart Pro
jU5UVQQsUpgrade naar KadastraleKaart Pro
Mgc 5L6QoxoFUnEKqA1Upgrade naar KadastraleKaart Pro
VNHw8HPQTUpgrade naar KadastraleKaart Pro
BENiHLD1DfFVpym4PgXoUpgrade naar KadastraleKaart Pro
t8RN c 1dPpS1RuDzp12 Upgrade naar KadastraleKaart Pro
uJnE3A3zUpgrade naar KadastraleKaart Pro
17/11/2006

Percelen
Gebruik de zoekbalk of klik op een perceel om informatie over het perceel te bekijken.