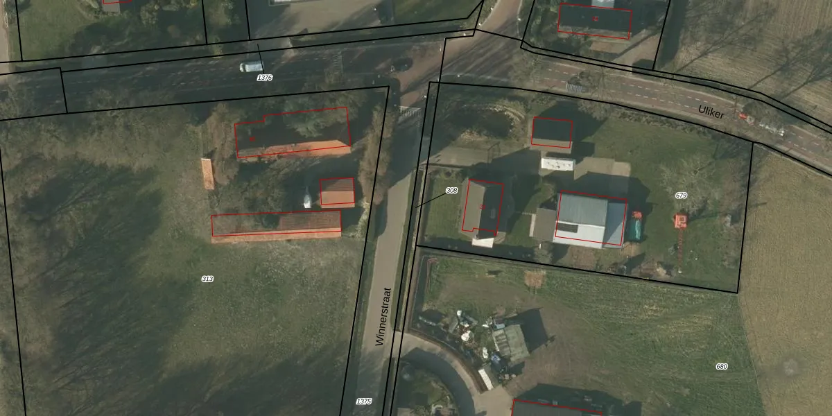
Perceel: NDW00-M-308
Geen adressen bij dit perceel
320 m2 - 259 m
Eigenaar opvragen
NDW00-M-308 (Nederweert)
- Geen postcode aanwezig
iAJWPV mSpBUebcUpgrade naar KadastraleKaart Pro
Bekijk op Street View
Download DWG/DXF/Excel
tZust0noivXUpgrade naar KadastraleKaart Pro
4jAU xzuXCLDuUpgrade naar KadastraleKaart Pro
P iep jvUXg5qXEI4uZ8GUpgrade naar KadastraleKaart Pro
G D4 v6nCiUpgrade naar KadastraleKaart Pro
hJbmdLxNoaYUpgrade naar KadastraleKaart Pro
GZQdaQZlE s4tEkEisKUpgrade naar KadastraleKaart Pro
RhvyudcfUZVoUpgrade naar KadastraleKaart Pro
SvYRPQV3fd6DLWUpgrade naar KadastraleKaart Pro
AJV9tYXk Upgrade naar KadastraleKaart Pro
zUDRHRm96oUpgrade naar KadastraleKaart Pro
06/09/2006

Percelen
Gebruik de zoekbalk of klik op een perceel om informatie over het perceel te bekijken.