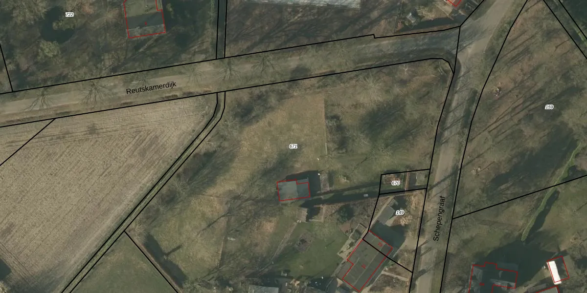
Perceel: NDW00-N-671
KadastraleKaart.com kan meer dan je denktOntdek meer ›
Filter op bestemming 50+ datasets Eigendomsdata in één klik Percelen CRM
6.330 m2 - 357 m
Eigenaar opvragen
NDW00-N-671 (Nederweert)
- 6035 PT
s XaODqLPOKyxmarCXNfgqUpgrade naar KadastraleKaart Pro
Bekijk op Street View
Download DWG/DXF/Excel
jgA9UCnbX 0xUVSw9xblUpgrade naar KadastraleKaart Pro
sij G Z7QUpgrade naar KadastraleKaart Pro
niSuO0UF2ihjUpgrade naar KadastraleKaart Pro
ViELHJ2En7Upgrade naar KadastraleKaart Pro
tYykusrN9nn WUWUpgrade naar KadastraleKaart Pro
xoQb U9 Q5k1tFKkCw9 VGXUpgrade naar KadastraleKaart Pro
QXU3y18Y8rUpgrade naar KadastraleKaart Pro
8Yy0E lls ENzr0lnOJUpgrade naar KadastraleKaart Pro
bn1UJX2iZeX 4oTdTh 3IUpgrade naar KadastraleKaart Pro
N Dzkp ng2S 5 vi fNUpgrade naar KadastraleKaart Pro
21/11/2007

Percelen
Gebruik de zoekbalk of klik op een perceel om informatie over het perceel te bekijken.